- BHGRE®
- Utah
- West Jordan
- 1517 W 8600 S
1517 W 8600 S, West Jordan, UT 84088
Local realty services provided by:Better Homes and Gardens Real Estate Momentum
1517 W 8600 S,West Jordan, UT 84088
$550,000
- 1.1 Acres
- Lots / Land
- Active
Listed by: mary a holbrook, britt mcgrath-graham
Office: forte real estate, llc.
MLS#:2134447
Source:SL
Price summary
- Price:$550,000
About this home
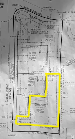
What an opportunity!!! Owner has paper lots, but are not finalized. PLEASE see proposed plat map. Seller is wanting to keep the existing home/lot #101 (.284) acres. Sale would include 3 lots (#102 .194 acres, 103 .185 acres and 104 .313 acres) plus tax id #27-03-201-087 (.05) acres. Three total building lots, for a total of .816 acres for sale or buyer could possibly re-do plans to change plans. Please call with more information. All lots would have frontage on 1500 W.
Contact an agent
Home facts
- Listing ID #:2134447
- Added:1 day(s) ago
- Updated:February 04, 2026 at 12:12 PM
Structure and exterior
- Lot area:1.1 Acres
Schools
- High school:West Jordan
- Middle school:West Jordan
- Elementary school:Riverside
Finances and disclosures
- Price:$550,000
- Tax amount:$2,300
New listings near 1517 W 8600 S
- New
$900,000Active4 beds 3 baths3,811 sq. ft.3152 W Grand Dale Ln, West Jordan, UT 84084
MLS# 2134802Listed by: LIVE WORK PLAY (SUMMIT) - New
$370,000Active3 beds 3 baths1,235 sq. ft.6712 S Pines Point Way, West Jordan, UT 84084
MLS# 2134795Listed by: IN DEPTH REALTY (ELITE) - New
$667,000Active4 beds 3 baths3,651 sq. ft.6961 W Farnsworth Peak Ln S, West Jordan, UT 84081
MLS# 2134773Listed by: HOLMES HOMES REALTY - Open Sat, 1 to 4pmNew
$690,000Active5 beds 3 baths3,243 sq. ft.2397 W Nathanael Way S, West Jordan, UT 84088
MLS# 2134752Listed by: FATHOM REALTY (OREM) - New
$550,000Active6 beds 3 baths1,866 sq. ft.7920 S 2800 W, West Jordan, UT 84088
MLS# 2134727Listed by: REAL BROKER, LLC - New
$360,000Active3 beds 2 baths1,116 sq. ft.3854 W Garonne Ave, West Jordan, UT 84084
MLS# 2134507Listed by: ICONIC: REALTY NETWORK, LLP - New
$698,625Active3 beds 3 baths3,555 sq. ft.6934 Pointe Cedar Ln #330, West Jordan, UT 84081
MLS# 2134422Listed by: HOLMES HOMES REALTY - Open Sat, 11am to 1pmNew
$497,000Active4 beds 2 baths1,735 sq. ft.4689 W Helenic Ln, West Jordan, UT 84088
MLS# 2134356Listed by: MANSELL REAL ESTATE INC - New
$739,000Active5 beds 4 baths3,361 sq. ft.8417 S Otter Creek Dr, West Jordan, UT 84081
MLS# 2134271Listed by: UTAH'S WISE CHOICE REAL ESTATE