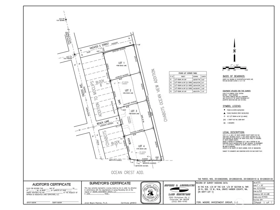
4780 Beach Lane #3, Moclips, WA 98562

Local realty services provided by:Better Homes and Gardens Real Estate Pacific Commons
Listed by: jasmin coleman, gina cooper
Office: oyhut bay realty
MLS#:2509869
Source:NWMLS
4780 Beach Lane #3,Moclips, WA 98562
$189,900
  • 0.37 Acres
  • Lots / Land
  • Active

Price summary

  • Price:$189,900

About this home

Seize the opportunity to design and build your own coastal escape with potential ocean views! This 16,000+ sq ft parcel offers the opportunity to bring your vision to life—whether you’re planning a custom beach home, a relaxing vacation retreat, or an income-producing property. With zoning that allows for nightly rentals, you have the freedom to enjoy the home when it suits you while generating short-term rental income the rest of the year. A substantial amount of preliminary work has already been completed, giving you a valuable head start and helping reduce upfront development costs. Geotechnical and topographical studies, a boundary survey, and wetlands study are all in place—providing important insight and streamlining your path toward development. Electrical applications and required equipment have already been paid for, allowing you to move forward more efficiently and focus on design and execution. Ideally positioned to take advantage of potential Ocean views from a multi-level...

Contact an agent

contact an agent

Yes, I would like more information. Please use and/or share my information with a BHGRE®  affiliated agent to contact me about my real estate needs. By clicking Send message, I request to be contacted by phone or text message and consent to being contacted by automated means. I understand that my consent to receive calls or texts is not a condition of purchasing any property, goods, or services. Alternatively, I understand that I can access real estate services by email or I can contact the agent myself.

If a BHGRE®  affiliated agent is not available in the area where I need assistance, I agree to be contacted by a real estate agent affiliated with another brand owned or licensed by Anywhere Real Estate (CENTURY 21® , Coldwell Banker® , Corcoran® , ERA® , Sotheby's International Realty® ).
 I acknowledge that I have read and agree to theTerms of useandPrivacy notice

Home facts

  • Listing ID #:2509869
  • Updated:April 26, 2026 at 11:07 AM

Structure and exterior

  • Lot area:0.37 Acres
  • Lot Features:Dead-end Street, Secluded

Schools

  • High school:Buyer To Verify
  • Middle school:Buyer To Verify
  • Elementary school:Buyer To Verify

Utilities

  • Water:Available
  • Sewer:Available

Finances and disclosures

  • Price:$189,900
  • Tax amount:$1,079 (2026)
MLS LogoListings courtesy of Northwest MLS as distributed by MLS GRID. Based on information submitted to the MLS GRID as of April 26, 2026. All data is obtained from various sources and may not have been verified by broker or MLS GRID. Supplied Open House Information is subject to change without notice. All information should be independently reviewed and verified for accuracy. Properties may or may not be listed by the office/agent presenting the information. Listing information is provided for consumers' personal, non-commercial use, solely to identify prospective properties for potential purchase; all other use is strictly prohibited and may violate relevant federal and state law. Information deemed reliable but not guaranteed. Copyright © 2026 MLS GRID. All Rights Reserved.