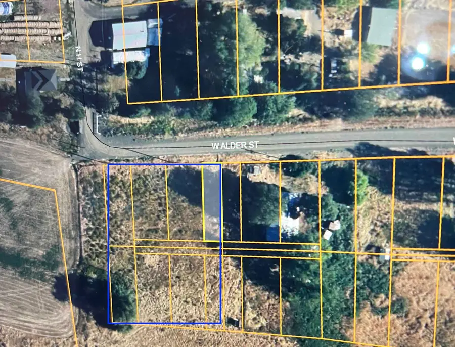
TBD Alder St, Sprague, WA 99032
Local realty services provided by:Better Homes and Gardens Real Estate Pacific Commons
TBD Alder St,Sprague, WA 99032
$30,000
- 0.83 Acres
- Lots / Land
- Active
Listed by: farrah brittain
Office: the hornberger group, llc.
MLS#:202610897
Source:WA_SAR
Price summary
- Price:$30,000
About this home
Just over 3/4 of an acre that includes 5+ city lots with city water and sewer available. Power is next door. Plenty of room for your new home. Great fishing at Sprague lake, kayaking at several other nearby lakes. Take a walk on the Columbia basin trail. Located just 33 miles to Spokane! Double wide manufactured homes allowed in the town of Sprague. Parcel includes lots 1, 2, 9, 10 and the West Half of Lots 3 and 8, Block 37 includes portion of vacated "H" Street.
Contact an agent
Home facts
- Listing ID #:202610897
- Added:42 day(s) ago
- Updated:February 26, 2026 at 08:53 PM
Structure and exterior
- Lot area:0.83 Acres
- Lot Features:Level, Open Lot, Oversized Lot
Utilities
- Water:Public
Finances and disclosures
- Price:$30,000
- Tax amount:$310
New listings near TBD Alder St
$65,000Active2 beds 1 baths718 W 1st St, Sprague, WA 99032
MLS# 202611740Listed by: DEESE REAL ESTATE
$229,900Active3 beds 2 baths1,075 sq. ft.405 W 2nd St, Sprague, WA 99032
MLS# 202611426Listed by: REAL BROKER LLC
$449,999Pending3 beds 3 baths1,837 sq. ft.5283 Estate Road North Rd, Sprague, WA 99032
MLS# 202610883Listed by: KELLER WILLIAMS SPOKANE - MAIN
$1,200,000Active2 beds 2 baths1,344 sq. ft.5190 Sr231n Rd, Sprague, WA 99032
MLS# 202524567Listed by: KELLER WILLIAMS REALTY COEUR D
$27,000Active0.29 AcresNKA Glascock St, Sprague, WA 99032
MLS# 202527553Listed by: THE HORNBERGER GROUP, LLC
$27,000Active0.29 AcresTBD Glascock St, Sprague, WA 99032
MLS# 202527530Listed by: THE HORNBERGER GROUP, LLC
$199,900Active3 beds 2 baths1,344 sq. ft.214 S B St, Sprague, WA 99032-9760
MLS# 202527910Listed by: BEST CHOICE REALTY
$32,500Active0.29 Acres402 E Porak St, Sprague, WA 99032
MLS# 202527528Listed by: THE HORNBERGER GROUP, LLC
$210,000Pending2 beds 1 baths740 sq. ft.506 W 4th Street W, Sprague, WA 99032
MLS# 2322485Listed by: DEESE REAL ESTATE