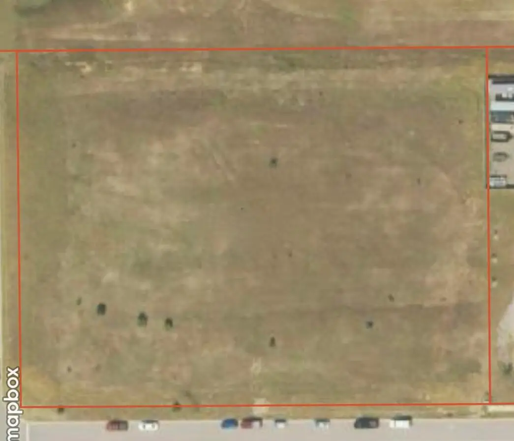
2603 Rotterdam St, Holmen, WI 54636
Local realty services provided by:Better Homes and Gardens Real Estate Power Realty
2603 Rotterdam St,Holmen, WI 54636
$325,000
- 2.95 Acres
- Lots / Land
- Active
Listed by: ryan wessel
Office: @properties la crosse
MLS#:1933293
Source:WI_METROMLS
Price summary
- Price:$325,000
About this home
Exceptional opportunity in Holmen's premier business park, the hub for light industrial and commercial growth in La Crosse County. This 2.95 acre parcel is strategically located just north of Hwy 35, offering excellent visibility, convenient access, and proximity to banks, grocery, golf, and brand-new residential development with walking trails. Designed for flexible commercial/industrial use while preserving natural surroundingsideal for new or expanding businesses.
Contact an agent
Home facts
- Listing ID #:1933293
- Added:117 day(s) ago
- Updated:December 29, 2025 at 03:43 PM
Structure and exterior
- Lot area:2.95 Acres
Schools
- High school:Holmen
- Middle school:Holmen
Finances and disclosures
- Price:$325,000
- Tax amount:$3,876 (2024)
New listings near 2603 Rotterdam St
$344,900Pending3 beds 2 baths2,080 sq. ft.311 Kenneda STREET, Holmen, WI 54636
MLS# 1945770Listed by: CASTLE REALTY, LLC- New
$500,000Active5 beds 3 baths3,342 sq. ft.1954 Mcgilvray Way, Holmen, WI 54636
MLS# 1945691Listed by: KELLER WILLIAMS REALTY DIVERSIFIED
$464,900Active3 beds 2 baths1,835 sq. ft.2007 Spakenburg Rd, Holmen, WI 54636
MLS# 1944943Listed by: RE/MAX RESULTS
$539,900Active3 beds 2 baths3,460 sq. ft.633 Lewis Ct, Holmen, WI 54636
MLS# 1944836Listed by: COLDWELL BANKER RIVER VALLEY, REALTORS
$474,900Active4 beds 3 baths2,345 sq. ft.826 Clark Ln, Holmen, WI 54636
MLS# 1944837Listed by: COLDWELL BANKER RIVER VALLEY, REALTORS
$519,900Active3 beds 2 baths1,896 sq. ft.827 Clark Ln, Holmen, WI 54636
MLS# 1944838Listed by: COLDWELL BANKER RIVER VALLEY, REALTORS
$629,900Active4 beds 3 baths3,359 sq. ft.953 Bridger Dr, Holmen, WI 54636
MLS# 1944839Listed by: COLDWELL BANKER RIVER VALLEY, REALTORS
$499,500Active3 beds 2 baths1,700 sq. ft.1050 Crockett Dr, Holmen, WI 54636
MLS# 1944296Listed by: COLDWELL BANKER RIVER VALLEY, REALTORS
$484,900Active3 beds 2 baths1,597 sq. ft.Bl 6 Lot 5 Iris St, Holmen, WI 54636
MLS# 1944312Listed by: CENTURY 21 AFFILIATED
$339,900Pending3 beds 2 baths1,875 sq. ft.806 Evergreen DRIVE, Holmen, WI 54636
MLS# 1944302Listed by: NEITZEL REALTY, LLC