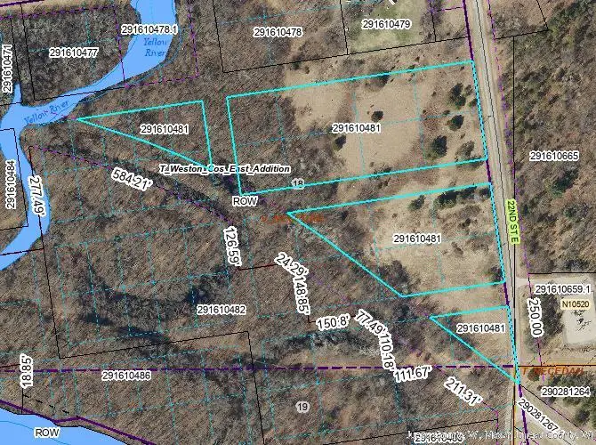
5.67 acres 22nd Street, Necedah, WI 54646

Local realty services provided by:Better Homes and Gardens Real Estate Special Properties
Listed by: beata zimon-franczyk
Office: castle rock realty llc.
MLS#:2013874
Source:Metro MLS
5.67 acres 22nd Street,Necedah, WI 54646
$20,000
  • 5.67 Acres
  • Lots / Land
  • Active

Price summary

  • Price:$20,000

About this home

5.67 wooded acres located within the Village of Necedah, offering a unique mix of recreational opportunity and potential future use. Approximately half of the property lies within a floodway and contains designated wetlands-this portion is not buildable and is well suited for bow hunting, wildlife habitat, and outdoor enjoyment. The remaining acreage is located in a flood zone and may be potentially buildable pending an elevation survey and possible flood zone revision- no guarantees are made regarding buildability. Zoned R-4 per Village of Necedah zoning (see associated documents). Village regulations apply-camping and single-wide mobile homes are not permitted. No municipal water or sewer available- a private well and septic system would be required if the property is deemed buildable following required studies and approvals. Conveniently located close to downtown Necedah, the Yellow River, and Petenwell Dam, with direct access to the ATV route. A great opportunity for recreational

Contact an agent

contact an agent

Yes, I would like more information. Please use and/or share my information with a BHGRE®  affiliated agent to contact me about my real estate needs. By clicking Send message, I request to be contacted by phone or text message and consent to being contacted by automated means. I understand that my consent to receive calls or texts is not a condition of purchasing any property, goods, or services. Alternatively, I understand that I can access real estate services by email or I can contact the agent myself.

If a BHGRE®  affiliated agent is not available in the area where I need assistance, I agree to be contacted by a real estate agent affiliated with another brand owned or licensed by Anywhere Real Estate (CENTURY 21® , Coldwell Banker® , Corcoran® , ERA® , Sotheby's International Realty® ).
 I acknowledge that I have read and agree to theTerms of useandPrivacy notice

Home facts

  • Listing ID #:2013874
  • Added:102 day(s) ago
  • Updated:March 30, 2026 at 03:04 PM

Structure and exterior

  • Lot area:5.67 Acres
  • Lot Features:Limited/Non-Buildable, Rolling/Hilly, Wetland, Wooded

Schools

  • High school:Necedah
  • Middle school:Necedah
  • Elementary school:Necedah

Utilities

  • Sewer:No Waste Disposal System

Finances and disclosures

  • Price:$20,000
  • Tax amount:$508 (2025)

Features and amenities

  • Amenities:Electricity, High Speed Internet Available, Telephone
The information being provided by Wisconsin Real Estate Exchange is for the consumer’s personal, non-commercial use and may not be used for any purpose other than to identify prospective properties consumers may be interested in purchasing. Information is supplied by seller and other third parties and has not been verified. 2026 Wisconsin Real Estate Exchange All rights reserved.