0 Lower, Banning, CA 92220

Local realty services provided by:Better Homes and Gardens Real Estate Napolitano & Associates
0 Lower,Banning, CA 92220
$12,999
  • 0 Acres
  • Lots / Land
  • Active
Listed by: beata barry j.d.
Office: karen summitt broker
MLS#:IG25064830
Source:San Diego MLS via CRMLS

Price summary

  • Price:$12,999

About this home

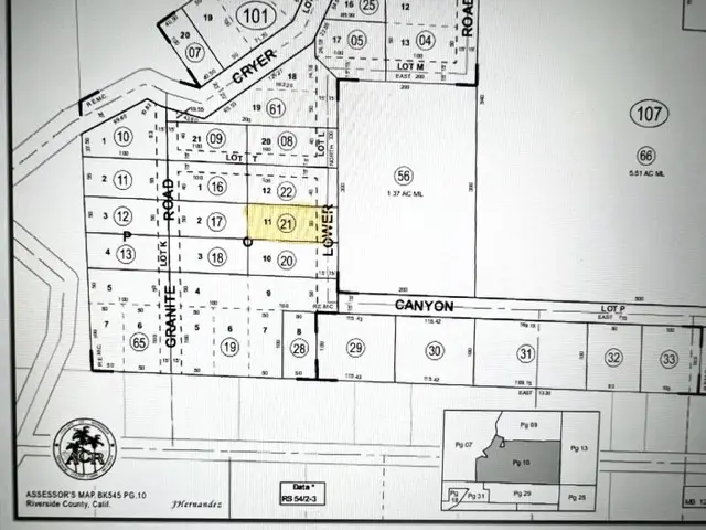
6534 sqft. Lot per Assessor. This is a land parcel located in Banning, Riverside. Beautiful area with nearby camp site as well as homes and activities. Assessor's Parcel Number is 545-107-021. Per Assessors it is where the Rancho Encino Mountain Club area is. Residential Lot APN 545-107-021. Located in Unincorporated- Riverside County, California. Legal description states this is part of the Rancho Encino Mountain Club. Beautiful area with opportunities on the horizon.

Contact an agent

contact an agent

Yes, I would like more information. Please use and/or share my information with a BHGRE®  affiliated agent to contact me about my real estate needs. By clicking Send message, I request to be contacted by phone or text message and consent to being contacted by automated means. I understand that my consent to receive calls or texts is not a condition of purchasing any property, goods, or services. Alternatively, I understand that I can access real estate services by email or I can contact the agent myself.

If a BHGRE®  affiliated agent is not available in the area where I need assistance, I agree to be contacted by a real estate agent affiliated with another brand owned or licensed by Anywhere Real Estate (CENTURY 21® , Coldwell Banker® , Corcoran® , ERA® , Sotheby's International Realty® ).
 I acknowledge that I have read and agree to theTerms of useandPrivacy notice

Home facts

  • Listing ID #:IG25064830
  • Added:393 day(s) ago
  • Updated:April 24, 2026 at 01:55 PM

Finances and disclosures

  • Price:$12,999
MLS LogoThis information is deemed reliable but not guaranteed. You should rely on this information only to decide whether or not to further investigate a particular property. BEFORE MAKING ANY OTHER DECISION, YOU SHOULD PERSONALLY INVESTIGATE THE FACTS (e.g. square footage and lot size) with the assistance of an appropriate professional. You may use this information only to identify properties you may be interested in investigating further. All uses except for personal, non-commercial use in accordance with the foregoing purpose are prohibited. Redistribution or copying of this information, any photographs or video tours is strictly prohibited. This information is derived from the Internet Data Exchange (IDX) service provided by San Diego MLS®. Displayed property listings may be held by a brokerage firm other than the broker and/or agent responsible for this display. The information and any photographs and video tours and the compilation from which they are derived is protected by copyright. Compilation © 2020 San Diego MLS®, Inc.