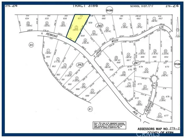
657 Perkins Avenue, California City, CA 93505
Local realty services provided by:Better Homes and Gardens Real Estate Reliance Partners
657 Perkins Avenue,California City, CA 93505
$4,950
- 1.98 Acres
- Lots / Land
- Active
Listed by: kristen maley, john maley
Office: landcore realty
MLS#:CRHD25165728
Source:CAMAXMLS
Price summary
- Price:$4,950
About this home
Lot 657 Map 3186, 1.98 Acres, (Apn: 279-242-07-007) GPS: 35.21294, -117.79658 on Perkins Ave in California City, CA. California City is in northern Antelope Valley in Kern County. California City is 18 miles northwest of Edwards Air Force Base, 40 miles north of Lancaster and 28 miles east of Tehachapi. California City has zoned this property as R4 Residential. According to the City the following uses are permitted: Single Family Dwellings, riding stables, corrals and animal keeping. No utilities are currently available to this lot. Electricity is aprox 1.2 miles east. Please check with the City for water and sewer distance. Use the GPS coordinates to locate the property. GPS: 35.21294, -117.79658
Contact an agent
Home facts
- Listing ID #:CRHD25165728
- Added:593 day(s) ago
- Updated:January 09, 2026 at 02:35 PM
Structure and exterior
- Lot area:1.98 Acres
Finances and disclosures
- Price:$4,950
New listings near 657 Perkins Avenue
- New
$379,900Active4 beds 3 baths1,858 sq. ft.21420 Reed Place, California City, CA 93505
MLS# SR26009264Listed by: LUXURY COLLECTIVE - New
$379,900Active4 beds 3 baths1,858 sq. ft.8837 Holly Avenue, California City, CA 93505
MLS# SR26009362Listed by: LUXURY COLLECTIVE - New
$259,999Active3 beds 2 baths1,431 sq. ft.20412 90th Street, California City, CA 93505
MLS# SR26013905Listed by: REAL BROKER - New
$15,000Active10.4 Acres0 California City Blvd/gantt Rd, California City, CA 93505
MLS# IV26013138Listed by: HOME & LAND SOURCE
$340,000Pending3 beds 2 baths1,786 sq. ft.9663 Mendiburu, California City, CA 93505
MLS# SR26012068Listed by: BROADNAX PROPERTIES, INC.- New
$30,000Active9.78 Acres810 California City Boulevard, California City, CA 93501
MLS# SR26007952Listed by: LAND & REAL ESTATE INVESTMENTS - New
$16,000Active0.23 Acres0 Fenmore Dr. #3, California City, CA 93505
MLS# HD26009038Listed by: KELLER WILLIAMS VICTOR VALLEY - New
$380,000Active4 beds 3 baths2,035 sq. ft.10121 Margery Avenue, California City, CA 93505
MLS# IG26008950Listed by: REALTY ONE GROUP EMPIRE - New
$349,990Active3 beds 2 baths1,850 sq. ft.8624 Forest Blvd, California City, CA 93505
MLS# SR26009907Listed by: MARRO REAL ESTATE, INC. - New
$379,000Active4 beds 3 baths1,991 sq. ft.9564 Village Parkway, California City, CA 93505
MLS# 9993513Listed by: BERKSHIRE HATHAWAY HOMESERVICES ASSOCIATED REAL ESTATE