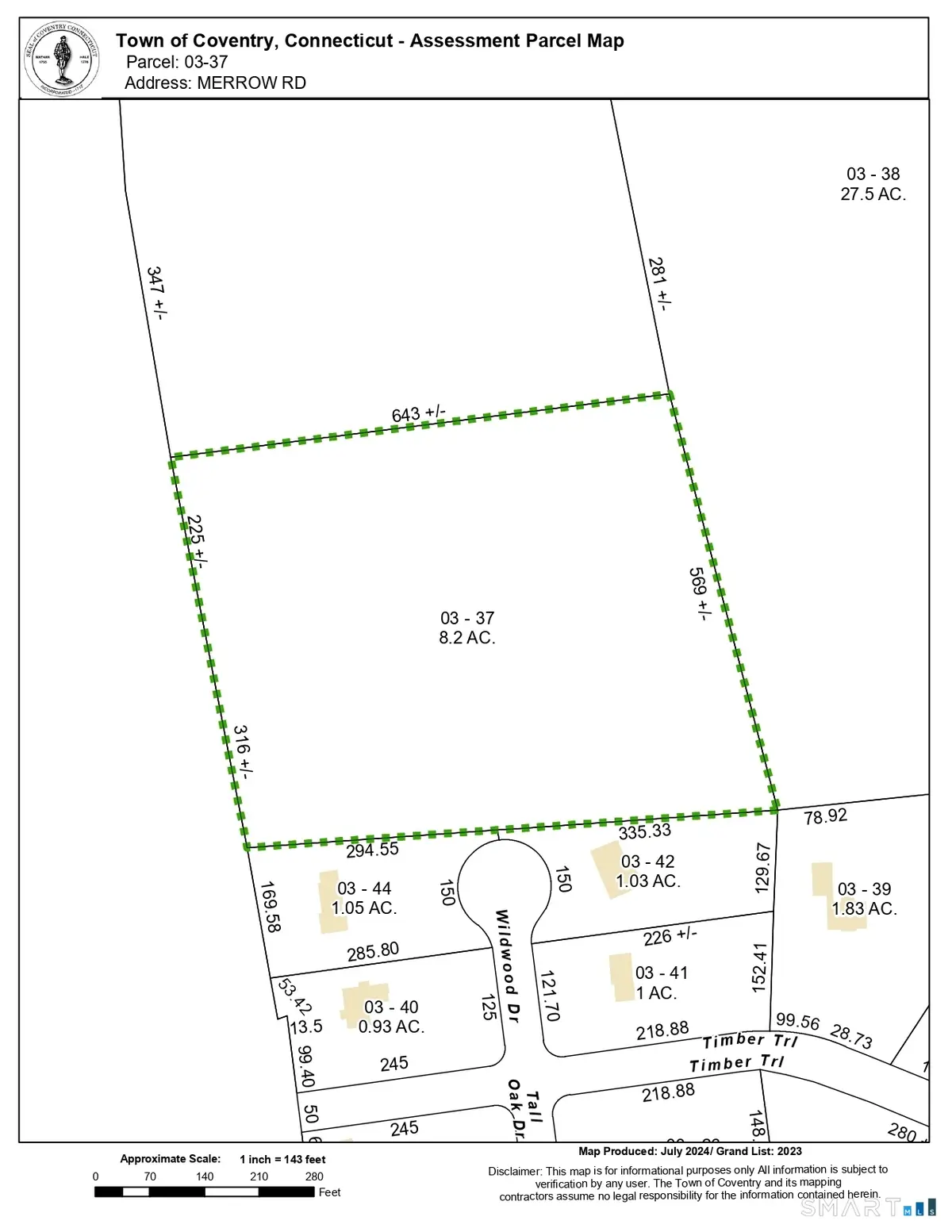
Merrow Road, Coventry, CT 06238

Local realty services provided by:Better Homes and Gardens Real Estate Executive Real Estate
Merrow Road,Coventry, CT 06238
$70,000
  • 8.2 Acres
  • Lots / Land
  • Pending
Listed by: dawn gagliardi, abby dudarewicz(860) 810-3237
Office: serhant connecticut, llc(203) 489-7800
MLS#:24141193
Source:CT

Price summary

  • Price:$70,000

About this home

MULTIPLE OFFERS, HIGHEST AND BEST DUE MONDAY, 1/5 BY 9 PM. Discover an exceptional opportunity on this 8.2-acre cul-de-sac lot located in a quiet Coventry neighborhood along Merrow Road. Surrounded by natural beauty and backing to a local vineyard, this expansive parcel offers privacy, scenic views, and a serene atmosphere. The land offers potential to be subdivided into four approximately two-acre lots, with access from the cul-de-sac via a town-owned easement that may be converted into a road. Enjoy a balance of seclusion and convenience with close proximity to Coventry Lake, UConn, shopping, dining, and major commuter routes. All information on access to the land to be confined by buyers, and no warranties are made by sellers.

Contact an agent

contact an agent

Yes, I would like more information. Please use and/or share my information with a BHGRE®  affiliated agent to contact me about my real estate needs. By clicking Send message, I request to be contacted by phone or text message and consent to being contacted by automated means. I understand that my consent to receive calls or texts is not a condition of purchasing any property, goods, or services. Alternatively, I understand that I can access real estate services by email or I can contact the agent myself.

If a BHGRE®  affiliated agent is not available in the area where I need assistance, I agree to be contacted by a real estate agent affiliated with another brand owned or licensed by Anywhere Real Estate (CENTURY 21® , Coldwell Banker® , Corcoran® , ERA® , Sotheby's International Realty® ).
 I acknowledge that I have read and agree to theTerms of useandPrivacy notice

Home facts

  • Listing ID #:24141193
  • Added:137 day(s) ago
  • Updated:May 16, 2026 at 07:14 AM

Structure and exterior

  • Lot area:8.2 Acres
  • Lot Features:On Cul-De-Sac

Schools

  • High school:Coventry
  • Elementary school:Coventry Grammar

Finances and disclosures

  • Price:$70,000
  • Tax amount:$195 (July 2025-June 2026)

Features and amenities

  • Amenities:Lake, Shopping/Mall
The data relating to real estate for sale on this website appears in part through the SMARTMLS Internet Data Exchange program, a voluntary cooperative exchange of property listing data between licensed real estate brokerage firms, and is provided by SMARTMLS through a licensing agreement. Listing information is from various brokers who participate in the SMARTMLS IDX program and not all listings may be visible on the site. The property information being provided on or through the website is for the personal, non-commercial use of consumers and such information may not be used for any purpose other than to identify prospective properties consumers may be interested in purchasing. Some properties which appear for sale on the website may no longer be available because they are for instance, under contract, sold or are no longer being offered for sale. Property information displayed is deemed reliable but is not guaranteed. Copyright 2026 SmartMLS, Inc.