2080 Tilson Road, Decatur, GA 30032
Local realty services provided by:Better Homes and Gardens Real Estate Metro Brokers
2080 Tilson Road,Decatur, GA 30032
$3,600,000
- 4.2 Acres
- Lots / Land
- Active
Listed by: emiko yang
Office: berkshire hathaway homeservices georgia properties
MLS#:7677130
Source:FIRSTMLS
Price summary
- Price:$3,600,000
About this home
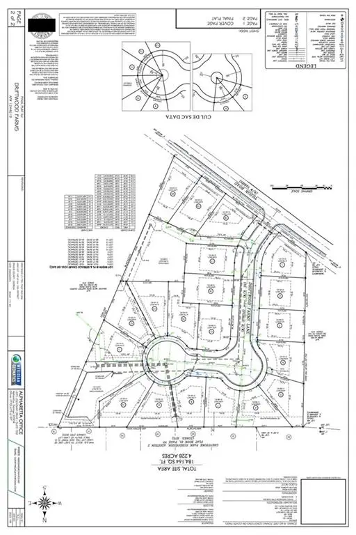
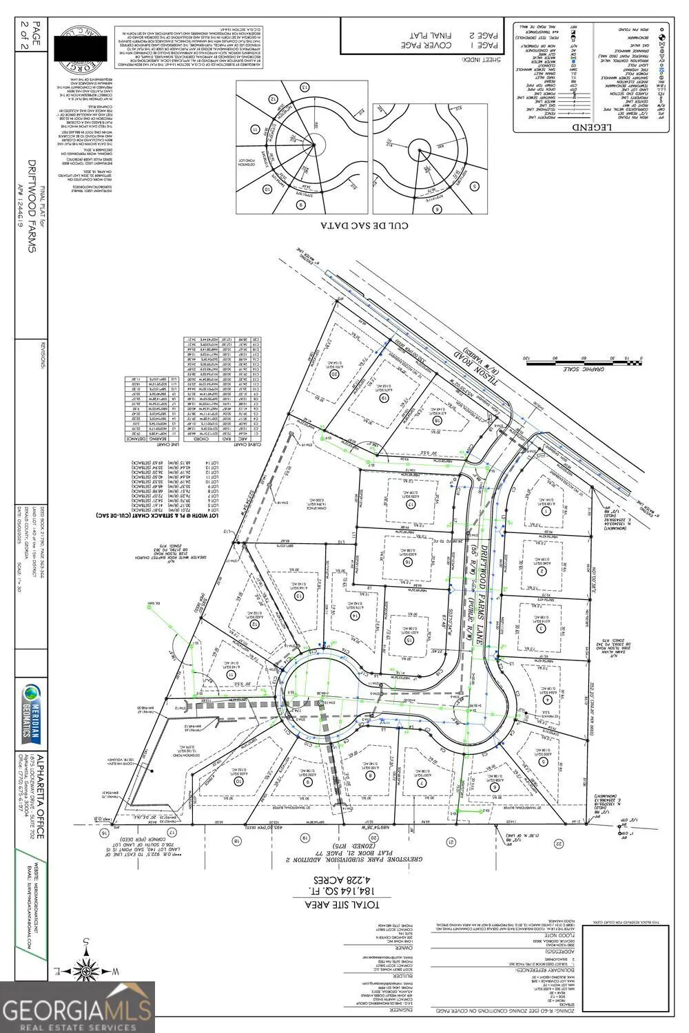
Calling all builders and developers—an exceptional intown opportunity awaits! This 4.2-acre residential site is zoned for 20 single-family homes and is located in a well-established neighborhood just minutes from I-20. A retention pond, paved roads, sidewalks, street lamps, and underground utilities have already been installed as part of the preliminary infrastructure, which is now awaiting the necessary approvals from Dekalb County. HOA documents have also been created and will be available upon request at closing. The seller plans to apply for final plat approval.
The surrounding area is experiencing strong growth, with multiple new single-family and townhome communities nearby—reflecting steady demand for new construction. Within approximately two miles, new homes served by the same middle and high schools have recently sold from the low $500Ks to low $600Ks. Adding to the momentum, Solace Grove—a new 125-unit senior housing community—is under construction directly behind the property.
Enjoy unbeatable convenience to major destinations: Downtown Atlanta (7.4 miles), Downtown Decatur (4.6 miles), East Lake Golf Course (2 miles), and Georgia State University’s Perimeter Campus (3.4 miles), along with quick access to I-20, local shopping, dining, and schools.
This is a prime opportunity to create a new boutique subdivision in one of metro Atlanta’s strategically connected and rapidly evolving intown corridors—ideal for builders and developers seeking a well-positioned site with excellent future potential....
Contact an agent
Home facts
- Year built:1946
- Listing ID #:7677130
- Updated:May 15, 2026 at 01:30 PM
Structure and exterior
- Year built:1946
- Lot area:4.2 Acres
- Lot Features:Level
- Exterior Features:Patio
- Levels:1 Story
Schools
- High school:McNair
- Middle school:McNair - Dekalb
- Elementary school:Ronald E McNair
Utilities
- Water:Water Available
- Sewer:Sewer Available
Finances and disclosures
- Price:$3,600,000
- Tax amount:$22,553 (2025)
New listings near 2080 Tilson Road
- New
$499,000Active3 beds 2 baths1,320 sq. ft.2670 Woodridge Drive, Decatur, GA 30033
MLS# 7771014Listed by: DORSEY ALSTON REALTORS - Open Sun, 2am to 4pmNew
$375,000Active3 beds 2 baths1,219 sq. ft.2569 Wilson Woods Drive, Decatur, GA 30033
MLS# 10765026Listed by: Compass - New
$410,000Active4 beds 2 baths1,250 sq. ft.3045 Lindon Lane, Decatur, GA 30033
MLS# 7771060Listed by: KELLER WILLIAMS REALTY ATL PARTNERS - New
$175,000Active3 beds 3 baths2,226 sq. ft.2131 Chevy Chase Lane, Decatur, GA 30032
MLS# 7769366Listed by: MAXIMUM ONE REALTOR PARTNERS - New
$359,900Active3 beds 3 baths2,574 sq. ft.3863 Artist View, Decatur, GA 30034
MLS# 7770087Listed by: ERA SUNRISE REALTY - New
$450,000Active2 beds 3 baths1,664 sq. ft.232 Adair Street, Decatur, GA 30030
MLS# 7770583Listed by: COLDWELL BANKER RESIDENTIAL REAL ESTATE, LLC - New
$199,000Active3 beds 2 baths1,857 sq. ft.5071 Donnell Way, Decatur, GA 30035
MLS# 7770885Listed by: KELLER WMS RE ATL MIDTOWN - New
$342,000Active3 beds 2 baths2,856 sq. ft.1985 Capri Drive, Decatur, GA 30032
MLS# 7770942Listed by: OPENDOOR BROKERAGE, LLC - New
$1,250,000Active5 beds 4 baths3,080 sq. ft.161 Ridgeland Avenue, Decatur, GA 30030
MLS# 7765036Listed by: PARK REALTY, LLC. - Open Sun, 12 to 2pmNew
$650,000Active3 beds 2 baths2,471 sq. ft.1826 E Ramble Court, Decatur, GA 30033
MLS# 7768340Listed by: ANSLEY REAL ESTATE