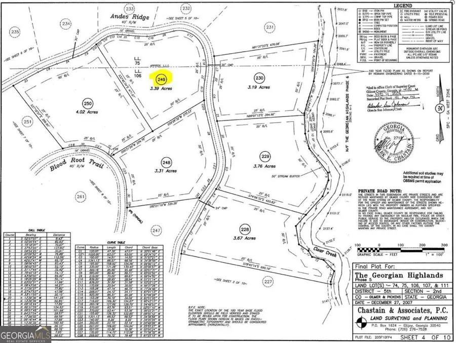
249 Andes Ridge, Ellijay, GA 30536
Local realty services provided by:Better Homes and Gardens Real Estate Metro Brokers
249 Andes Ridge,Ellijay, GA 30536
$28,000
- 3.39 Acres
- Lots / Land
- Active
Listed by: leah cleminshaw
Office: georgia highlands realty
MLS#:10563087
Source:METROMLS
Price summary
- Price:$28,000
- Monthly HOA dues:$108.33
About this home
Layered valley views with long range seasonal mountain views! Once homes are built on the other side of the road you could potentionally have wide unobstructed views. This upsloping lot juts out from the mountainside allowing for a homesite to sit majestically on a nice building spot. You'll be overlooking the valley and some seasonal long range views that change with the four seasons. Lots of road frontage so many driveway configurations are possible. You can hear the crashing waters of Clear Creek that isn't far from this lot. Underground electric, phone, cable, fiber internet, and already soil tested. Buy now and build later! Falling Waters subdivision is a gated luxury mountain community with a quaint fishing lake, pavilions, and a hiking trail that meanders beside a beautiful creek of crashing waters. HOA. Gated. Rentals may not be possible. Important to take plat map to ensure you get the correct lot. Must be with an agent. Tax records are incorrect: this lot is on ANDES RDG and is in Falling Waters. Terrain boundary photos are for approximation only.
Contact an agent
Home facts
- Listing ID #:10563087
- Updated:March 08, 2026 at 10:51 AM
Structure and exterior
- Lot area:3.39 Acres
- Lot Features:Sloped, Steep Slope
Schools
- High school:Gilmer
- Middle school:Clear Creek
- Elementary school:Other
Utilities
- Sewer:Perc Test On File
Finances and disclosures
- Price:$28,000
- Tax amount:$326 (2024)
New listings near 249 Andes Ridge
- New
$710,000Active3 beds 3 baths2,352 sq. ft.265 Echo Lane, Ellijay, GA 30540
MLS# 7731185Listed by: KELLER WILLIAMS REALTY COMMUNITY PARTNERS - New
$165,000Active2 beds 2 baths52 25th Street #C559, Ellijay, GA 30540
MLS# 10705715Listed by: RE/MAX Town & Country - New
$799,777Active4 beds 4 baths5,282 sq. ft.1950 Saint Andrews Way, Ellijay, GA 30536
MLS# 428463Listed by: REMAX TOWN & COUNTRY THE CINDY WEST TEAM - New
$458,000Active2 beds 3 baths1,333 sq. ft.772 Heritage Way, Ellijay, GA 30540
MLS# 428461Listed by: MOUNTAIN SOTHEBY'S INTERNATIONAL REALTY - New
$79,900Active1 beds 1 baths300 sq. ft.532 10th Street, Ellijay, GA 30540
MLS# 10705527Listed by: Haven Real Estate Brokers
$667,999Active4 beds 3 baths2,455 sq. ft.957 Roundtop Road, Ellijay, GA 30540
MLS# 10612485Listed by: Atlanta Communities- New
$599,777Active3 beds 4 baths2,428 sq. ft.144 Emerald Cove Drive, Ellijay, GA 30540
MLS# 10705272Listed by: RE/MAX Town & Country - New
$39,888Active3.1 Acres3.1 ACRE Maple Rest Lane #6,7, Ellijay, GA 30540
MLS# 10705276Listed by: RE/MAX Town & Country - New
$455,000Active3 beds 3 baths1,800 sq. ft.173 Mountain Laurel Lane, Ellijay, GA 30536
MLS# 10705384Listed by: Local Realty - New
$359,000Active3 beds 2 baths2,448 sq. ft.89 Tara Lane, Ellijay, GA 30540
MLS# 428451Listed by: REMAX TOWN & COUNTRY - ELLIJAY