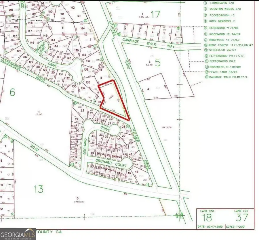
400 Palmer Drive, Stone Mountain, GA 30083
Local realty services provided by:Better Homes and Gardens Real Estate Jackson Realty
400 Palmer Drive,Stone Mountain, GA 30083
$65,000
- 0.73 Acres
- Lots / Land
- Active
Listed by: shaletha colbert
Office: homesmart
MLS#:10714042
Source:METROMLS
Price summary
- Price:$65,000
About this home
Picture your custom home on a spacious corner lot with nearly 0.7 acres of buildable space in a quiet residential setting. Located in unincorporated DeKalb County's 18th District (Land Lot 37), this level parcel offers design flexibility without HOA restrictions. Enjoy the convenience of being within walking distance of the Wade-Walker Family YMCA, and just minutes to Stone Mountain-Lithonia Road, Rockbridge Road, Stone Mountain Park, and downtown Stone Mountain. Quick access to major highways, shopping, dining, parks, and schools makes this an ideal location for commuting and recreation. Whether you're a builder or an investor looking to create a custom residence, this lot delivers a prime opportunity in a highly accessible area. All listing information provided to the best of seller's knowledge and should be independently verified. Note there is no signage on the lot.
Contact an agent
Home facts
- Listing ID #:10714042
- Updated:April 08, 2026 at 10:53 AM
Structure and exterior
- Lot area:0.73 Acres
- Lot Features:Corner Lot
Schools
- High school:Stone Mountain
- Middle school:Stone Mountain
- Elementary school:Stone Mountain
Finances and disclosures
- Price:$65,000
- Tax amount:$1,028 (24)
New listings near 400 Palmer Drive
- Coming Soon
$35,000Coming Soon-- Acres566 Fortune Ridge Road, Stone Mountain, GA 30087
MLS# 7748885Listed by: VIRTUAL PROPERTIES REALTY. BIZ - New
$249,900Active3 beds 2 baths1,247 sq. ft.1391 Colony Hill Court, Stone Mountain, GA 30083
MLS# 10727328Listed by: HomeSmart - New
$35,000Active0.27 Acres560 Fortune Ridge, Stone Mountain, GA 30087
MLS# 7748876Listed by: VIRTUAL PROPERTIES REALTY. BIZ - New
$191,500Active3 beds 1 baths1,007 sq. ft.425 Stephenson Road, Stone Mountain, GA 30087
MLS# 7746645Listed by: MAINSTAY BROKERAGE LLC - New
$235,000Active3 beds 3 baths1,468 sq. ft.4899 Hairston Place, Stone Mountain, GA 30088
MLS# 7748670Listed by: ROCK RIVER REALTY, LLC. - New
$369,900Active4 beds 3 baths5419 Fieldgreen Drive, Stone Mountain, GA 30088
MLS# 10727078Listed by: Your Home Sold Guaranteed - New
$259,900Active3 beds 2 baths1,917 sq. ft.4153 Indian Manor Drive, Stone Mountain, GA 30083
MLS# 10726863Listed by: Homeland Realty Group - New
$335,000Active4 beds 4 baths5356 Biffle Road, Stone Mountain, GA 30088
MLS# 10726893Listed by: Keller Williams Realty North Atlanta - New
$255,000Active3 beds 3 baths1,994 sq. ft.5251 Greenpoint Drive, Stone Mountain, GA 30088
MLS# 10726605Listed by: Keller Williams Realty Atl. Partners - New
$159,900Active4 beds 2 baths4911 Martins Crossing Road, Stone Mountain, GA 30088
MLS# 10726612Listed by: Keller Williams Realty Atlanta North