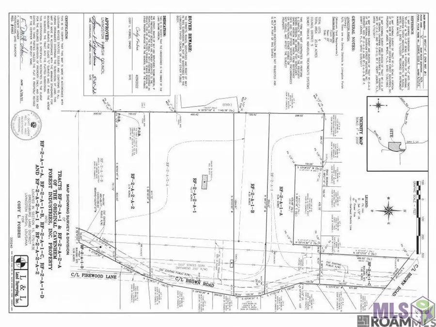
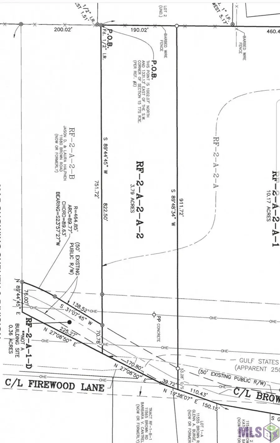
11656 Brown Rd, Denham Springs, LA 70726
Local realty services provided by:Better Homes and Gardens Real Estate Rhodes Realty
11656 Brown Rd,Denham Springs, LA 70726
$189,000
- 3.79 Acres
- Lots / Land
- Active
Listed by: marilyn mcculley, carolyn s venable
Office: magnolia roots realty llc.
MLS#:BR2025012521
Source:LA_RAAMLS
Price summary
- Price:$189,000
About this home
Nestled on a peaceful 3.79-acre rural tract in Denham Springs, this partially cleared lot offers the perfect blend of privacy and convenience. Lined with mature trees along the property's edge, it provides a natural buffer and serene setting for your future home or weekend retreat. With plenty of open space and endless possibilities, this property is ideal for those looking to build in a quiet, country atmosphere--yet it's just minutes from the interstate, giving you quick access to nearby amenities. Whether you're dreaming of a custom home or a relaxing escape, this versatile lot is ready to bring your vision to life. Located in Flood Zone X and has never flooded.
Contact an agent
Home facts
- Listing ID #:BR2025012521
- Added:206 day(s) ago
- Updated:April 24, 2026 at 03:13 PM
Structure and exterior
- Lot area:3.79 Acres
- Lot Features:Cleared, Level, Rural, Wooded
Finances and disclosures
- Price:$189,000
Features and amenities
- Amenities:Electricity Available
Parking
- Parking description:Driveway
New listings near 11656 Brown Rd
- New
$239,900Active3 beds 2 baths1,418 sq. ft.1503 Weeping Willow Dr, Denham Springs, LA 70726
MLS# 2026007517Listed by: SMART MOVE REAL ESTATE - New
$75,000Active4 beds 2 baths2,053 sq. ft.9949 King Arthur Ave, Denham Springs, LA 70706
MLS# BR2026007501Listed by: PIVOT REALTY
$274,725Pending4 beds 2 baths1,825 sq. ft.35477 Forest Manor Ave, Denham Springs, LA 70706
MLS# BR2026007484Listed by: D.R. HORTON REALTY OF LOUISIAN
$274,900Pending4 beds 2 baths1,825 sq. ft.35441 Forest Manor Ave, Denham Springs, LA 70706
MLS# BR2026007487Listed by: D.R. HORTON REALTY OF LOUISIAN
$285,900Pending4 beds 2 baths2,051 sq. ft.35444 Forest Manor Ave, Denham Springs, LA 70706
MLS# BR2026007491Listed by: D.R. HORTON REALTY OF LOUISIAN- New
$255,900Active3 beds 2 baths1,549 sq. ft.35465 Forest Manor Ave, Denham Springs, LA 70706
MLS# BR2026007490Listed by: D.R. HORTON REALTY OF LOUISIAN
$277,900Pending4 beds 2 baths1,506 sq. ft.35519 Forest Manor Ave, Denham Springs, LA 70706
MLS# BR2026007469Listed by: D.R. HORTON REALTY OF LOUISIAN
$268,900Pending4 beds 2 baths1,825 sq. ft.35432 Forest Manor Ave, Denham Springs, LA 70706
MLS# BR2026007473Listed by: D.R. HORTON REALTY OF LOUISIAN
$272,900Pending4 beds 2 baths1,825 sq. ft.35456 Forest Manor Ave, Denham Springs, LA 70706
MLS# BR2026007475Listed by: D.R. HORTON REALTY OF LOUISIAN- New
$699,000Active1.6 Acres56283 Juban Rd, Denham Springs, LA 70726
MLS# BR2026007460Listed by: COVINGTON & ASSOCIATES REAL ESTATE, LLC