0 Williams St, Dighton, MA 02715

Local realty services provided by:Better Homes and Gardens Real Estate The Shanahan Group
0 Williams St,Dighton, MA 02715
$1,500,000
  • 80.37 Acres
  • Lots / Land
  • Active
Listed by:luke walen
Office:keller williams south watuppa
MLS#:73448644
Source:MLSPIN

Price summary

  • Price:$1,500,000

About this home

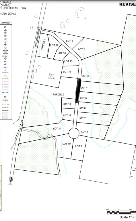
Dighton, MA: Approved 17-Lot Subdivision on 80 Acres. Rare opportunity for builders/developers! Secure this fully approved 17-lot residential subdivision spanning 80 prime acres in highly sought-after Dighton, MA. This subdivision is past the appeals period and ready for a developer to break ground on a mostly cleared and open site! Please reach out for full engineering plans. Don't miss this chance to acquire a turn-key subdivision project with significant equity potential! Seller Financing available with a 30% downpayment!

Contact an agent

contact an agent

Yes, I would like more information from BHGRE®. Please use and/or share my information with an BHGRE affiliated agent to contact me about my real estate needs. By clicking Send message, I agree an BHGRE affiliated agent may contact me by phone or text message including by automated means about real estate services, and that I can access real estate services without providing my phone number. I acknowledge that I have read and agree to theTerms of useandPrivacy notice

Home facts

  • Listing ID #:73448644
  • Updated:November 02, 2025 at 11:36 AM

Structure and exterior

  • Lot area:80.37 Acres

Utilities

  • Water:Private
  • Sewer:Private Sewer

Finances and disclosures

  • Price:$1,500,000
  • Tax amount:$10,257 (2025)
The property listing data and information, or the Images, set forth herein were provided to MLS Property Information Network, Inc. from third party sources, including sellers, lessors and public records, and were compiled by MLS Property Information Network, Inc. The property listing data and information, and the Images, are for the personal, non-commercial use of consumers having a good faith interest in purchasing or leasing listed properties of the type displayed to them and may not be used for any purpose other than to identify prospective properties which such consumers may have a good faith interest in purchasing or leasing. MLS Property Information Network, Inc. and its subscribers disclaim any and all representations and warranties as to the accuracy of the property listing data and information, or as to the accuracy of any of the Images, set forth herein.