1123 Allgood Street, Durham, NC 27704

Local realty services provided by:Better Homes and Gardens Real Estate Paracle
1123 Allgood Street,Durham, NC 27704
$795,000
  • 4.97 Acres
  • Lots / Land
  • Pending
Listed by: jim bartlett
Office: keller williams legacy
MLS#:10143501
Source:RD

Price summary

  • Price:$795,000

About this home

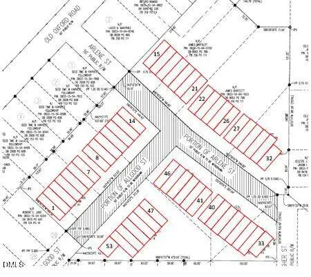
Approved Subdivision - Arlene Pointe - 23 Lots - 16 Single Family Homes and 7 Duplexes (Lots 11-17) for a total of 30 Units. 4.974 Acres in Durham City limits with Approved Site Plan and Approved Construction Drawings. Could have 49 to 55 townhomes built on this site with a new site plan. Ready Today for Builder Developer to begin clearing trees, building roads and to layout lots. Water, Sewer and Electric adjacent to property. Cable company ready to provide service to each lot as well as other providers. Very Close to Major Employers like Google, Wolfspeed, Glaxo Smith Kline and Duke Regional Hospital. Also Very Close to Highways, Universities, Entertainment and More. Many new developments and growth surrounding this location! Suggested Single Family and Duplex Floor Plans attached in Documents.

Contact an agent

contact an agent

Yes, I would like more information. Please use and/or share my information with a BHGRE®  affiliated agent to contact me about my real estate needs. By clicking Send message, I request to be contacted by phone or text message and consent to being contacted by automated means. I understand that my consent to receive calls or texts is not a condition of purchasing any property, goods, or services. Alternatively, I understand that I can access real estate services by email or I can contact the agent myself.

If a BHGRE®  affiliated agent is not available in the area where I need assistance, I agree to be contacted by a real estate agent affiliated with another brand owned or licensed by Anywhere Real Estate (CENTURY 21® , Coldwell Banker® , Corcoran® , ERA® , Sotheby's International Realty® ).
 I acknowledge that I have read and agree to theTerms of useandPrivacy notice

Home facts

  • Listing ID #:10143501
  • Added:58 day(s) ago
  • Updated:March 27, 2026 at 11:56 AM

Structure and exterior

  • Lot area:4.97 Acres
  • Lot Features:Level, Wooded

Schools

  • High school:Durham - Northern
  • Middle school:Durham - Lucas
  • Elementary school:Durham - Eno Valley

Utilities

  • Water:Public
  • Sewer:Public Sewer

Finances and disclosures

  • Price:$795,000
  • Tax amount:$2,645
MLS LogoListings marked with a Doorify MLS icon are provided courtesy of the Doorify MLS, of North Carolina, Internet Data Exchange Database. Brokers make an effort to deliver accurate information, but buyers should independently verify any information on which they will rely in a transaction. The listing broker shall not be responsible for any typographical errors, misinformation, or misprints, and they shall be held totally harmless from any damages arising from reliance upon this data. This data is provided exclusively for consumers’ personal, non-commercial use. Copyright 2026 Doorify MLS of North Carolina. All rights reserved.