L2 Bohls Bay, Bottineau, ND 58318
Local realty services provided by:Better Homes and Gardens Real Estate Alliance Group
L2 Bohls Bay,Bottineau, ND 58318
$299,000
- 0.47 Acres
- Lots / Land
- Active
Listed by: kristi m bohl
Office: trademark realty
MLS#:4022979
Source:ND_GNMLS
Price summary
- Price:$299,000
About this home
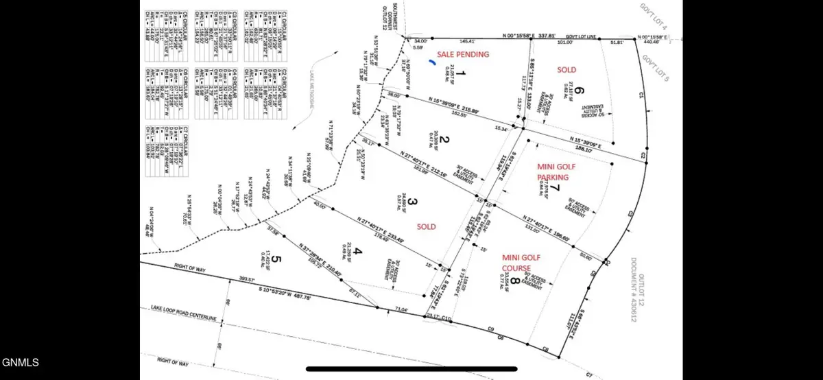
Discover an exceptional opportunity to own waterfront property in the brand-new Bohl's Bay Development on beautiful Lake Metigoshe, conveniently located near the historic Old School House and just steps away from Goshe Mini Golf(which does not share the private road). Three premium lakeshore lots are available, each offering 75-85 feet of shoreline and lots are 160-180 feet deep. All lots are close to a half acre, providing ample space for your dream lake home or cabin. The shoreline has been dredged of cattails for improved access, with some additional finishing work still possible to suit your needs. While the bay is naturally shallow, it will accommodate pontoon access, making it ideal for relaxed lake living. This development offers valuable infrastructure already in place:
• Main sewer line installed to each lot's driveway
• Power via SRT available at each lot entrance
Buyers are responsible for extending utilities from the driveway into their lot. No private wells currently exist, but these lots are expected to join the All Season Rural Water system when future water service becomes available. Some lots have been brush-hogged for easier viewing and planning, while others retain their natural tree cover for maximum privacy. The private access road is currently unmaintained, offering a quiet, secluded setting. To the west, state-owned land provides additional privacy and, at this time, has no future development plans. The Lake Metigoshe area is known for its clear waters, recreation, and year-round activity—from boating and fishing in the summer to snowmobiling and ice fishing in the winter. These rare waterfront lots in Bohl's Bay provide convenient proximity to area amenities, including restaurants, trails and entertainment, while offering a private lakeshore setting tucked into a peaceful bay perfect for unwinding. Agent is related to the seller....
Contact an agent
Home facts
- Listing ID #:4022979
- Added:155 day(s) ago
- Updated:May 15, 2026 at 03:12 PM
Structure and exterior
- Lot area:0.47 Acres
Utilities
- Sewer:Sewer Available
Finances and disclosures
- Price:$299,000
New listings near L2 Bohls Bay
- New
$529,000Active4 beds 3 baths2,720 sq. ft.1164 100th ST NE, Bottineau, ND 58318
MLS# 260763Listed by: PREFERRED PARTNERS REAL ESTATE - New
$375,000Active4 beds -- baths1,409 sq. ft.261 Long Lake Road NE, Bottineau, ND 58318
MLS# 260754Listed by: KW INSPIRE REALTY - New
$475,000Active3 beds 1 baths1,495 sq. ft.263 Long Lake Road NE, Bottineau, ND 58318
MLS# 260753Listed by: KW INSPIRE REALTY - New
$800,000Active7 beds 1 baths2,904 sq. ft.261&263 LONG LAKE ROAD NE, Bottineau, ND 58318
MLS# 260716Listed by: KW INSPIRE REALTY - New
$739,000Active5 beds 3 baths4,698 sq. ft.556 HIGHWAY 5 NE, Bottineau, ND 58318
MLS# 260712Listed by: PREFERRED PARTNERS REAL ESTATE
$334,900Active3 beds 2 baths1,280 sq. ft.1419 E Loon Lake Rd, Bottineau, ND 58318
MLS# 260693Listed by: 701 REALTY, INC.
$329,900Pending4 beds 2 baths2,608 sq. ft.815 7th St E, Bottineau, ND 58318
MLS# 260663Listed by: REALTY ONE GROUP MAGNUM
$489,000Active4 beds 2 baths2,052 sq. ft.150 Hidden Estates Road, Bottineau, ND 58318
MLS# 260607Listed by: DAKOTA REALTY
$699,000Active3 beds 2 baths1,414 sq. ft.380 SOLPERS BAY RD, Bottineau, ND 58318
MLS# 260606Listed by: PREFERRED PARTNERS REAL ESTATE
$484,900Active3 beds 1 baths1,575 sq. ft.5 McARTHUR LAKE, Bottineau, ND 58318
MLS# 260539Listed by: PREFERRED PARTNERS REAL ESTATE