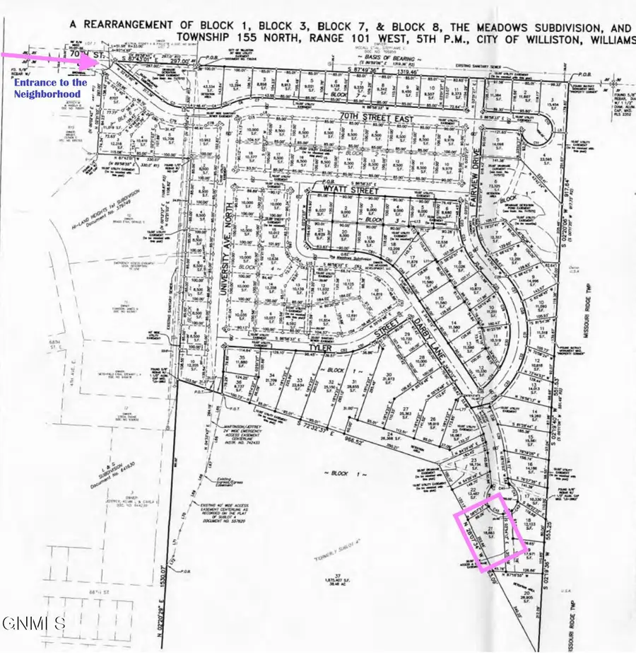
6629 Darby Lane, Williston, ND 58801
Local realty services provided by:Better Homes and Gardens Real Estate Alliance Group
6629 Darby Lane,Williston, ND 58801
$95,000
- 0.43 Acres
- Lots / Land
- Active
Listed by: laura ward
Office: exp realty
MLS#:4023604
Source:ND_GNMLS
Price summary
- Price:$95,000
About this home
Discover one of the most striking homesites in The Meadows. This large uniquely shaped, triangle-style lot sits at the edge of a quiet cul-de-sac in The Meadows, offering some of the finest views in all of Williston. Its layout calls for a thoughtful home design—perfect for a buyer or builder who wants to create a standout residence tailored to the land.
Positioned at the end of a block lined with some of Williston's finest homes, this site delivers privacy, elevation, and an unmistakable sense of prestige. Quiet, and just steps from the neighborhood's private golf cart path directly to the Eagle Ridge Golf Course clubhouse, this lot offers a perfect and permanent North Dakota vista in every direction.
If you want a build site, with all utilities already in place, that combines exclusivity, scenery, and long-term value, this is it. Take advantage of the Williams County buyer/builder program to get started on your dream build!
Contact an agent
Home facts
- Listing ID #:4023604
- Added:91 day(s) ago
- Updated:May 01, 2026 at 03:13 PM
Structure and exterior
- Lot area:0.43 Acres
Utilities
- Water:Water Available
- Sewer:Sewer Available
Finances and disclosures
- Price:$95,000
- Tax amount:$1,043 (2025)
New listings near 6629 Darby Lane
- New
$410,000Active4 beds 3 baths2,384 sq. ft.1302 10th Avenue W, Williston, ND 58801
MLS# 4025246Listed by: EXP REALTY - New
$179,900Active2 beds 1 baths936 sq. ft.2703 Pheasant Run Parkway, Williston, ND 58801
MLS# 4025212Listed by: REALTY ONE GROUP CALIBER - New
$548,000Active6 beds 3 baths2,898 sq. ft.13672 Mulberry Loop Nw, Williston, ND 58801
MLS# 4025209Listed by: DONNER REALTY - New
$559,000Active3 beds 2 baths1,599 sq. ft.3016 29th Avenue W, Williston, ND 58801
MLS# 4025200Listed by: REAL - New
$575,000Active3 beds 2 baths1,676 sq. ft.3010 29th Avenue W, Williston, ND 58801
MLS# 4025201Listed by: REAL - New
$485,000Active3 beds 2 baths1,722 sq. ft.3028 29th Avenue W, Williston, ND 58801
MLS# 4025197Listed by: REAL - New
$525,000Active3 beds 3 baths1,800 sq. ft.14961 Cochise Street, Williston, ND 58801
MLS# 4025193Listed by: REALTY ONE GROUP CALIBER - New
$499,900Active7 beds 4 baths3,356 sq. ft.4809 Southview Lane, Williston, ND 58801
MLS# 4025180Listed by: REAL - New
$399,900Active5 beds 3 baths2,766 sq. ft.1901 Sioux Street, Williston, ND 58801
MLS# 4025177Listed by: REALTY ONE GROUP CALIBER - New
$645,000Active5 beds 3 baths3,790 sq. ft.13636 Redwood Way Nw, Williston, ND 58801
MLS# 4025167Listed by: EXP REALTY