267 Londonderry Turnpike, Hooksett, NH 03106
Local realty services provided by:Better Homes and Gardens Real Estate The Masiello Group
267 Londonderry Turnpike,Hooksett, NH 03106
$830,000
- 3.69 Acres
- Lots / Land
- Active
Listed by: krystsina listapadOff: 978-296-8435
Office: coldwell banker realty andover ma978-296-8435
MLS#:5075047
Source:PrimeMLS
Price summary
- Price:$830,000
About this home
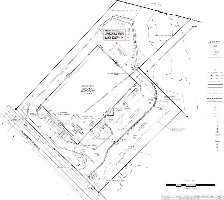
Rare DEVELOPMENT opportunity on highly visible Londonderry Turnpike (Route 28) in Hooksett, NH. This commercial parcel comes with approved demolition permit, engineered site plans to build a warehouse with 3,168sf showroom, 3,168 sf 2nd floor offices and 38,412sf warehouse totalling approx. 44,748 sf building creating a smooth path toward redevelopment. Civil engineering plans include the building footprint, truck circulation, loading areas, parking layout, drainage, stormwater management, lighting design, landscaping, and buffering. Full plans to be provided to the buyer under NDA after offer acceptance. Please do your due diligence. With major predevelopment work already completed, this site offers a valuable head start for developers, investors, or owner-users seeking strong frontage, visibility, and long-term growth along one of Hooksett’s key commercial corridors. With major predevelopment work already completed, this site offers a valuable head start for developers, investors, or owner-users seeking strong frontage, visibility, and long-term growth along one of Hooksett’s key commercial corridors....
Contact an agent
Home facts
- Listing ID #:5075047
- Added:106 day(s) ago
- Updated:May 14, 2026 at 10:26 AM
Structure and exterior
- Lot area:3.69 Acres
Utilities
- Sewer:Private
Finances and disclosures
- Price:$830,000
Features and amenities
- Amenities:At Street
New listings near 267 Londonderry Turnpike
- New
$419,900Active3 beds 1 baths1,120 sq. ft.58 Sherwood Drive, Hooksett, NH 03106
MLS# 5088796Listed by: HEARTHSIDE REALTY, LLC - Open Sat, 3 to 4:30pmNew
$129,000Active2 beds 1 baths1,056 sq. ft.8 Dart Street, Hooksett, NH 03106
MLS# 5088590Listed by: CAMERON PRESTIGE, LLC - New
$772,400Active4 beds 4 baths3,235 sq. ft.6 Nancy Lane, Hooksett, NH 03106
MLS# 5088482Listed by: KELLER WILLIAMS REALTY-METROPOLITAN
$365,000Pending3 beds 1 baths1,280 sq. ft.12 Birch Hill Road, Hooksett, NH 03106
MLS# 5087892Listed by: COLDWELL BANKER J HAMPE ASSOCIATES
$399,900Pending2 beds 2 baths1,688 sq. ft.1465 Hooksett Road #360, Hooksett, NH 03106
MLS# 5087098Listed by: RE/MAX SYNERGY- Open Sat, 11am to 12:30pmNew
$775,000Active3 beds 3 baths2,508 sq. ft.71 Auburn Road, Hooksett, NH 03106
MLS# 5087470Listed by: COLDWELL BANKER REALTY BEDFORD NH - New
$660,000Active2 beds 2 baths1,880 sq. ft.2 Strawberry Lane, Hooksett, NH 03106
MLS# 5087357Listed by: KELLER WILLIAMS REALTY-METROPOLITAN
$585,000Pending4 beds -- baths1,862 sq. ft.375 Whitehall Road, Hooksett, NH 03106
MLS# 5087181Listed by: THREE HILLS REAL ESTATE SERVICE
$259,900Pending3 beds 2 baths1,434 sq. ft.20 Kirkwood Road, Hooksett, NH 03106
MLS# 5087139Listed by: THE MERRILL BARTLETT GROUP
$399,900Active2 beds 2 baths1,504 sq. ft.1465 Hooksett Road #207, Hooksett, NH 03106
MLS# 5086064Listed by: COLDWELL BANKER - PEGGY CARTER TEAM