327 Vineyard, Atco, NJ 08004
Local realty services provided by:Better Homes and Gardens Real Estate Maturo
327 Vineyard,Atco, NJ 08004
$1,300,000
- 0 Acres
- Lots / Land
- Active
Listed by: clenvic cayme
Office: cayme realty llc.
MLS#:603010
Source:NJ_SJSRMLS
Price summary
- Price:$1,300,000
About this home
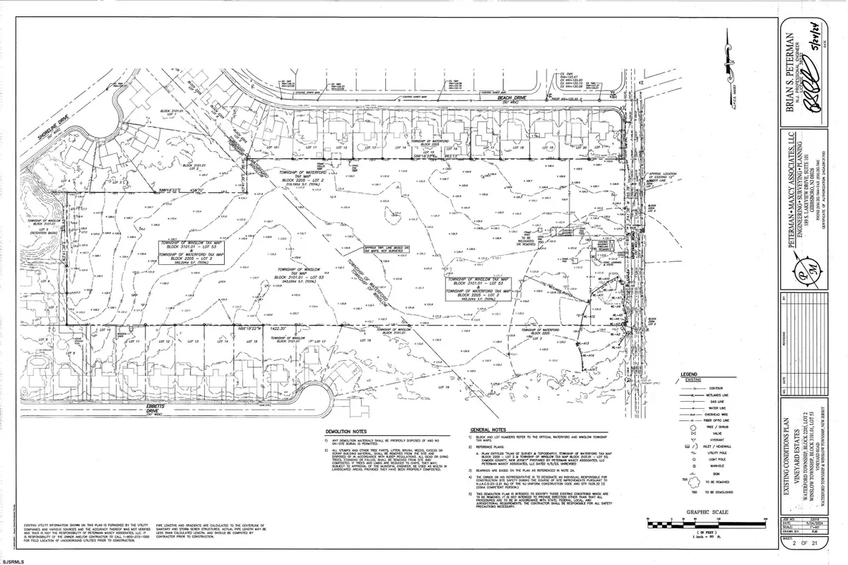
Certificate of Filing Received. Prime 12.9± acre residential development site on Vineyard Rd in Waterford Twp/Atco with engineering completed for a proposed 27-lot subdivision: 23 buildable single-family lots plus 3 basin/open-space lots (plans available upon request). Property is surrounded by established neighborhoods and is an ideal location for a new residential community in a low-inventory market. Mix of open and wooded land with road frontage on Vineyard Rd.. Public utilities are in the area – buyer to confirm availability, capacity, and connection requirements with the township and Pinelands. Sale is for land only. Buyer is responsible for all final approvals, permits, and due diligence. 2 Structures currently on the property.
Contact an agent
Home facts
- Listing ID #:603010
- Added:65 day(s) ago
- Updated:February 13, 2026 at 04:01 PM
Finances and disclosures
- Price:$1,300,000
- Tax amount:$9,362 (2025)
New listings near 327 Vineyard
- Coming Soon
$474,900Coming Soon4 beds 3 baths470 Waterfords Edge Ct, ATCO, NJ 08004
MLS# NJCD2110646Listed by: PRIME REALTY PARTNERS
$350,000Pending3 beds 2 baths1,548 sq. ft.108 Forbes Dr, ATCO, NJ 08004
MLS# NJCD2110530Listed by: REAL BROKER, LLC
$359,900Active4 beds 2 baths2,120 sq. ft.10 Dartmouth Dr, ATCO, NJ 08004
MLS# NJCD2109936Listed by: COMPASS NEW JERSEY, LLC - HADDON TOWNSHIP- Coming Soon
$465,000Coming Soon4 beds 2 baths2408 Louden Ln, ATCO, NJ 08004
MLS# NJCD2110262Listed by: MARCOLLA REALTY
$295,000Pending3 beds 1 baths1,232 sq. ft.2311 Gennessee Ave, ATCO, NJ 08004
MLS# NJCD2109338Listed by: BHHS FOX & ROACH-MULLICA HILL SOUTH
$395,000Active3 beds 3 baths1,576 sq. ft.56 Oakton Dr, ATCO, NJ 08004
MLS# NJCD2109990Listed by: WEICHERT REALTORS-HADDONFIELD- Open Fri, 1 to 3pm
$429,900Active4 beds 3 baths2,266 sq. ft.18 Wakefield Rd, ATCO, NJ 08004
MLS# NJCD2108088Listed by: JOE WIESSNER REALTY LLC
$235,000Pending3 beds 1 baths1,056 sq. ft.35 Colgate Ct, ATCO, NJ 08004
MLS# NJCD2109516Listed by: SPRINGER REALTY GROUP
$275,000Pending3 beds 2 baths1,620 sq. ft.121 Crosley Dr, ATCO, NJ 08004
MLS# NJCD2109690Listed by: CENTURY 21 REILLY REALTORS
$369,900Active3 beds 2 baths1,248 sq. ft.2172 Atco Ave, ATCO, NJ 08004
MLS# NJCD2109504Listed by: BHHS FOX & ROACH-WASHINGTON-GLOUCESTER