0 Slagtown Rd, Cowan, TN 37318

Local realty services provided by:Better Homes and Gardens Real Estate Ben Bray & Associates
0 Slagtown Rd,Cowan, TN 37318
$528,000
  • 33 Acres
  • Lots / Land
  • Active
Listed by: stephanie jo dowdy, aimee hyde whitt
Office: freedom realty group
MLS#:3167628
Source:NASHVILLE

Price summary

  • Price:$528,000

About this home

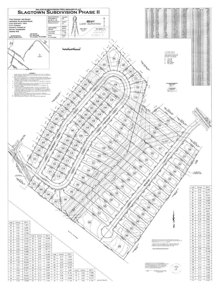
ATTENTION DEVELOPERS! POTENTIAL 88 ACRE LOT SUBDIVISION! Surrounded by beautiful mountain views! Convenient to food/retail, and minutes from Nissan and the University of the South. Preliminary plat has been approved for 88 lots (see plat in media section).

Contact an agent

contact an agent

Yes, I would like more information. Please use and/or share my information with a BHGRE®  affiliated agent to contact me about my real estate needs. By clicking Send message, I request to be contacted by phone or text message and consent to being contacted by automated means. I understand that my consent to receive calls or texts is not a condition of purchasing any property, goods, or services. Alternatively, I understand that I can access real estate services by email or I can contact the agent myself.

If a BHGRE®  affiliated agent is not available in the area where I need assistance, I agree to be contacted by a real estate agent affiliated with another brand owned or licensed by Anywhere Real Estate (CENTURY 21® , Coldwell Banker® , Corcoran® , ERA® , Sotheby's International Realty® ).
 I acknowledge that I have read and agree to theTerms of useandPrivacy notice

Home facts

  • Listing ID #:3167628
  • Added:7 day(s) ago
  • Updated:April 10, 2026 at 02:32 PM

Structure and exterior

  • Lot area:33 Acres

Schools

  • High school:Franklin Co High School
  • Middle school:South Middle School
  • Elementary school:Cowan Elementary

Utilities

  • Water:Public, Water Available
  • Sewer:Public Sewer

Finances and disclosures

  • Price:$528,000
  • Tax amount:$1,038
MLS LogoCopyright 2026 Realtracs Mls. All rights reserved. Realtracs Mls provides content displayed here (“provided content”) on an “as is” basis and makes no representations or warranties regarding the provided content, including, but not limited to those of non-infringement, timeliness, accuracy, or completeness. Individuals and companies using information presented are responsible for verification and validation of information they utilize and present to their customers and clients. Realtracs Mls will not be liable for any damage or loss resulting from use of the provided content or the products available through Portals, IDX, VOW, and/or Syndication. Recipients of this information shall not resell, redistribute, reproduce, modify, or otherwise copy any portion thereof without the expressed written consent of Realtracs Mls.