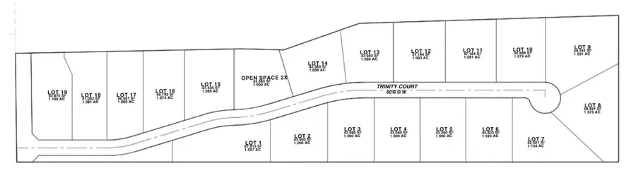
Lot 8 County Road 134, Celina, TX 75009
Local realty services provided by:Better Homes and Gardens Real Estate Lindsey Realty
Lot 8 County Road 134,Celina, TX 75009
$485,000
- 1.37 Acres
- Lots / Land
- Active
Listed by: danielle durbin, daniel durbin214-906-9450
Office: sevenhaus realty
MLS#:21196673
Source:GDAR
Price summary
- Price:$485,000
- Monthly HOA dues:$64.75
About this home
LOW 1.44% TAX RATE, BRING YOUR OWN BUILDER, BUILD READY LOTS. Welcome to Celina’s newest boutique luxury gated community Shiloh Estates thoughtfully positioned in the heart of Celina, just minutes from Preston Road and Celina High School. Designed for those who crave both connection and quiet, this exclusive enclave offers the rare opportunity to enjoy expansive one-acre (and larger) homesites with room to truly breathe. Here, wide open skies meet refined architecture, creating a setting where serenity is not a luxury — it’s a lifestyle. Evenings are something special. Golden sunsets stretch endlessly across the horizon, casting a warm glow over peaceful surroundings and gently reminding you why you chose space over congestion. The slower pace, the quiet streets, the sense of privacy — it all feels intentional. This is not a sprawling master-planned development. It’s a carefully curated, boutique setting for those who value privacy, architectural excellence, and a more intimate neighborhood experience. Fewer homes. Larger lots. Greater tranquility. Future HOA and Architectural Review Committee guidelines and builders to ensure a cohesive, high-quality aesthetic that protects both beauty and long-term value — allowing each home to be distinctive, yet harmonious within the community. If you’ve been searching for acreage living without sacrificing proximity to top schools, major roadways, and the charm of historic downtown Celina, this is where sophistication meets simplicity — and where space becomes a daily luxury. 12 month build time.
Contact an agent
Home facts
- Listing ID #:21196673
- Added:6 day(s) ago
- Updated:March 10, 2026 at 11:54 AM
Structure and exterior
- Lot area:1.37 Acres
- Lot Features:Acreage, Few Trees, Lawn
Schools
- High school:Celina
- Middle school:Jerry & Linda Moore
- Elementary school:Celina
Finances and disclosures
- Price:$485,000
- Tax amount:$5,978
New listings near Lot 8 County Road 134
- New
$385,000Active3 beds 3 baths1,888 sq. ft.1356 Hill Country Place, Celina, TX 75009
MLS# 21193408Listed by: REAL BROKER, LLC - New
$679,000Active4 beds 3 baths2,997 sq. ft.3312 Hawkins Avenue, Celina, TX 75009
MLS# 21193542Listed by: BEAM REAL ESTATE, LLC - New
$1,063,590Active4 beds 6 baths3,411 sq. ft.3808 Meander Way, Celina, TX 75078
MLS# 21202653Listed by: HIGHLAND HOMES REALTY - Open Sun, 1 to 3pmNew
$608,000Active5 beds 3 baths3,177 sq. ft.16913 Clover Drive, Celina, TX 75009
MLS# 21202076Listed by: REALTY ONE GROUP FORWARD LIVIN - New
$445,000Active3 beds 2 baths2,042 sq. ft.16617 Hidden Cove Drive, Celina, TX 75009
MLS# 21200958Listed by: NAVIGATE MANAGEMENT CO. LLC - New
$750,000Active4 beds 4 baths3,478 sq. ft.1318 Cottonwood Drive, Celina, TX 75009
MLS# 21200228Listed by: COLDWELL BANKER APEX, REALTORS - New
$699,308Active4 beds 5 baths3,417 sq. ft.1400 Rose Mallow Road, Celina, TX 75009
MLS# 21201910Listed by: COLLEEN FROST REAL ESTATE SERV - New
$995,000Active5 beds 6 baths4,299 sq. ft.4035 Heatherton Drive, Celina, TX 75009
MLS# 21201985Listed by: COMPASS RE TEXAS, LLC - New
$1,339,500Active5 beds 5 baths4,380 sq. ft.4101 Parkview Boulevard, Celina, TX 75009
MLS# 21193841Listed by: UNITED REAL ESTATE - New
$2,150,000Active6 beds 5 baths4,981 sq. ft.3161 Northgate, Celina, TX 75009
MLS# 21198249Listed by: EXP REALTY LLC