TBD Wester Road, Ellis, TX 75125
Local realty services provided by:Better Homes and Gardens Real Estate Edwards & Associates
Listed by: gorge martinez
Office: hi view real estate
MLS#:21187045
Source:GDAR
Price summary
- Price:$125,000
About this home
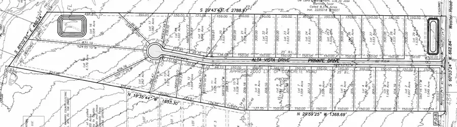
Welcome to Alta Vista Estates with 29 residential lots in Ferris, TX! This community provides a quick access to I-45 while providing a country feel lifestyle. Light deed restrictions to ensure peaceful living among neighbors. Bring your own floor plans or select one of our plans and customize your future build! Home Pictures are of builders past builds. Only a limited # of lots will be pre-sold. Plat approved and construction expected to start in Summer 2026!!!!
Contact an agent
Home facts
- Listing ID #:21187045
- Added:47 day(s) ago
- Updated:April 10, 2026 at 11:43 AM
Structure and exterior
- Lot area:1 Acres
- Lot Features:Acreage
Schools
- High school:Ferris
- Elementary school:Ingram
Finances and disclosures
- Price:$125,000
- Tax amount:$125
New listings near TBD Wester Road
- New
$349,990Active3 beds 2 baths2,000 sq. ft.11010 Fm 157, Venus, TX 76084
MLS# 21197671Listed by: KELLER WILLIAMS REALTY - New
$592,000Active4 beds 3 baths3,293 sq. ft.405 Double Creek Drive, Midlothian, TX 76065
MLS# 21233827Listed by: KELLER WILLIAMS REALTY - New
$279,900Active3 beds 2 baths1,260 sq. ft.1507 N Preston Street, Ennis, TX 75119
MLS# 21233624Listed by: COLDWELL BANKER REALTY - New
$465,000Active3 beds 3 baths2,824 sq. ft.102 Vintage Drive, Waxahachie, TX 75165
MLS# 21209626Listed by: RTR WAXAHACHIE - New
$150,000Active0.32 Acres105 Wyatt Street, Waxahachie, TX 75165
MLS# 21234917Listed by: CENTURY 21 JUDGE FITE CO. - New
$225,000Active4 beds 2 baths1,347 sq. ft.454 Eagle Wind Way, Ferris, TX 75125
MLS# 21233238Listed by: FATHOM REALTY - New
$803,500Active6 beds 4 baths4,347 sq. ft.751 Emerald Valley Drive, Ovilla, TX 75154
MLS# 21233417Listed by: THE REAL ESTATE COMPANY - New
$255,000Active3 beds 2 baths1,535 sq. ft.2604 Spring Time Drive, Ennis, TX 75119
MLS# 21234606Listed by: SIGNATURE REAL ESTATE GROUP - New
$187,000Active3 beds 1 baths1,255 sq. ft.312 Poplar Street, Italy, TX 76651
MLS# 21234680Listed by: KELLER WILLIAMS REALTY - New
$465,000Active3 beds 3 baths2,535 sq. ft.213 Perennial Way, Waxahachie, TX 75165
MLS# 21234814Listed by: RENDON REALTY, LLC