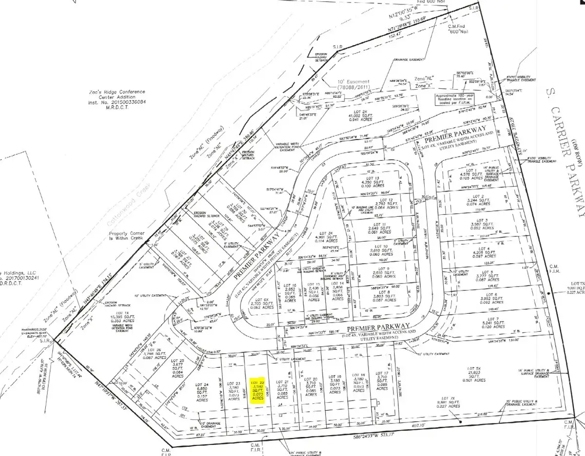
834 Premier Parkway, Grand Prairie, TX 75051
Local realty services provided by:Better Homes and Gardens Real Estate Edwards & Associates
834 Premier Parkway,Grand Prairie, TX 75051
$114,900
- 0.07 Acres
- Lots / Land
- Active
Listed by: shaheer hashmi254-371-3883
Office: dhs realty
MLS#:21164898
Source:GDAR
Price summary
- Price:$114,900
About this home
*Total of 4 lots.. They must all be sold together. Price listed above is price per lot. 832-838 Premier Parkway*
Bring your own builder & your own special ideas!
Don’t miss this opportunity to build your dream townhome or investment property in the heart of Grand Prairie. Located at 834 Premier Parkway, this 3,180 sq ft open lot offers a clean slate in a well-established and growing area. With water and electricity already available on-site, you’re one step closer to bringing your vision to life.
Nestled in a prime location just minutes from major highways, shopping, dining, and entertainment, this lot provides the perfect balance of convenience and comfort. Whether you're a builder, investor, or future homeowner, this is a fantastic opportunity to secure a great piece of land in a thriving community.
Contact an agent
Home facts
- Year built:2025
- Listing ID #:21164898
- Added:43 day(s) ago
- Updated:March 13, 2026 at 11:47 AM
Structure and exterior
- Year built:2025
- Lot area:0.07 Acres
- Lot Features:City Lot, Interior Lot, Subdivision
Schools
- High school:Grand Prairie
- Middle school:Adams
- Elementary school:Austin
Finances and disclosures
- Price:$114,900
New listings near 834 Premier Parkway
- New
$130,000Active0.5 Acres3212 Koscher Drive, Grand Prairie, TX 75104
MLS# 21206564Listed by: AUGUST GRAY REAL ESTATE, LLC - Open Sat, 12 to 2pmNew
$410,000Active3 beds 3 baths2,290 sq. ft.3901 Silver Meadow Lane, Grand Prairie, TX 75052
MLS# 21197624Listed by: HOMESMART - New
$599,900Active5 beds 5 baths4,013 sq. ft.7215 Herboso, Grand Prairie, TX 75054
MLS# 21203657Listed by: LEGACY REALTY GROUP - Open Sat, 12 to 3pmNew
$389,980Active3 beds 2 baths2,005 sq. ft.2565 Pinnacle Point Drive, Grand Prairie, TX 75054
MLS# 21205961Listed by: ONLY 1 REALTY GROUP DALLAS - New
$309,990Active3 beds 2 baths1,635 sq. ft.1631 Nashwood Drive, Grand Prairie, TX 75051
MLS# 21193904Listed by: DAVE PERRY MILLER REAL ESTATE - New
$259,999Active3 beds 2 baths1,188 sq. ft.534 NE 23rd Street, Grand Prairie, TX 75050
MLS# 21194533Listed by: REAL BROKER, LLC - Open Sun, 1 to 3pmNew
$435,000Active4 beds 3 baths2,451 sq. ft.5144 Balmoral Court, Grand Prairie, TX 75052
MLS# 21201863Listed by: EXP REALTY, LLC - New
$625,000Active4 beds 4 baths2,743 sq. ft.810 Premier Parkway, Grand Prairie, TX 75051
MLS# 21205444Listed by: EXP REALTY, LLC - New
$349,900Active2 beds 2 baths1,376 sq. ft.7227 Calistoga Lane, Grand Prairie, TX 75054
MLS# 21205632Listed by: REAL BROKER, LLC - New
$370,000Active3 beds 2 baths1,470 sq. ft.3644 Randall Terrace, Grand Prairie, TX 76065
MLS# 21205296Listed by: KELLER WILLIAMS LONESTAR DFW