8222 Cannon Street, Houston, TX 77051
Local realty services provided by:Better Homes and Gardens Real Estate Gary Greene
8222 Cannon Street,Houston, TX 77051
$60,000
- 0.06 Acres
- Lots / Land
- Active
Listed by:maryam estates
Office:kiani realty
MLS#:95231807
Source:HARMLS
Price summary
- Price:$60,000
About this home
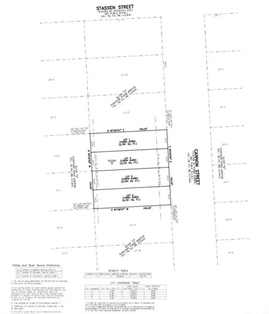
Lots in Medical Center South ready for development. Replat already completed and subdivided into four separate lots. Each lot is 26ft by 106.2ft which is the perfect size to build a new home. 8226 CANNON ST LOT 4 BLK 1 AND 8224 CANNON ST LOT 3 BLK 1 AND 8222 CANNON ST LOT 2 BLK 1 are for sale. Each lot is 2,761 sqft New construction all over the neighborhood.
Contact an agent
Home facts
- Listing ID #:95231807
- Updated:October 07, 2025 at 11:53 AM
Structure and exterior
- Lot area:0.06 Acres
Schools
- High school:WORTHING HIGH SCHOOL
- Middle school:ATTUCKS MIDDLE SCHOOL
- Elementary school:YOUNG ELEMENTARY SCHOOL (HOUSTON)
Utilities
- Sewer:Public Sewer
Finances and disclosures
- Price:$60,000
- Tax amount:$1,340 (2025)
New listings near 8222 Cannon Street
- New$336,400Active4 beds 3 baths2,449 sq. ft.
6222 Vicki John Drive, Houston, TX 77096
MLS# 38149552Listed by: MIH REALTY, LLC - New$2,700,000Active2 beds 4 baths3,853 sq. ft.
2121 Kirby Drive #24NE, Houston, TX 77019
MLS# 89250030Listed by: NEW LEAF REAL ESTATE - New$299,000Active3 beds 2 baths1,609 sq. ft.
13914 Magnolia Lake Lane, Houston, TX 77083
MLS# 41614311Listed by: REALTY USA - New$265,000Active3 beds 2 baths1,484 sq. ft.
545 Henke Street, Houston, TX 77020
MLS# 44956678Listed by: INC REALTY - New$410,000Active2 beds 2 baths1,108 sq. ft.
1510 Walton Street, Houston, TX 77009
MLS# 52830723Listed by: CENTURY 21 GARLINGTON & ASSOC. - New$889,000Active4 beds 4 baths4,125 sq. ft.
11427 Brandy Lane, Houston, TX 77044
MLS# 86167345Listed by: CONNECT REALTY.COM - New$449,000Active4 beds 3 baths2,712 sq. ft.
11406 Wickersham Lane, Houston, TX 77077
MLS# 31557635Listed by: GENERAL PROPERTY & SERVICES - New$849,999Active4 beds 4 baths2,893 sq. ft.
10034 Briar Forest Dr Drive, Houston, TX 77042
MLS# 76364322Listed by: NUWAY REALTY GROUP LLC - New$275,000Active3 beds 3 baths2,324 sq. ft.
5739 Roehampton Court, Houston, TX 77084
MLS# 81341472Listed by: GREAT WESTERN REALTY - New$199,000Active3 beds 2 baths1,588 sq. ft.
7531 Joplin Street, Houston, TX 77087
MLS# 62446000Listed by: CENTURY 21 LUCKY MONEY