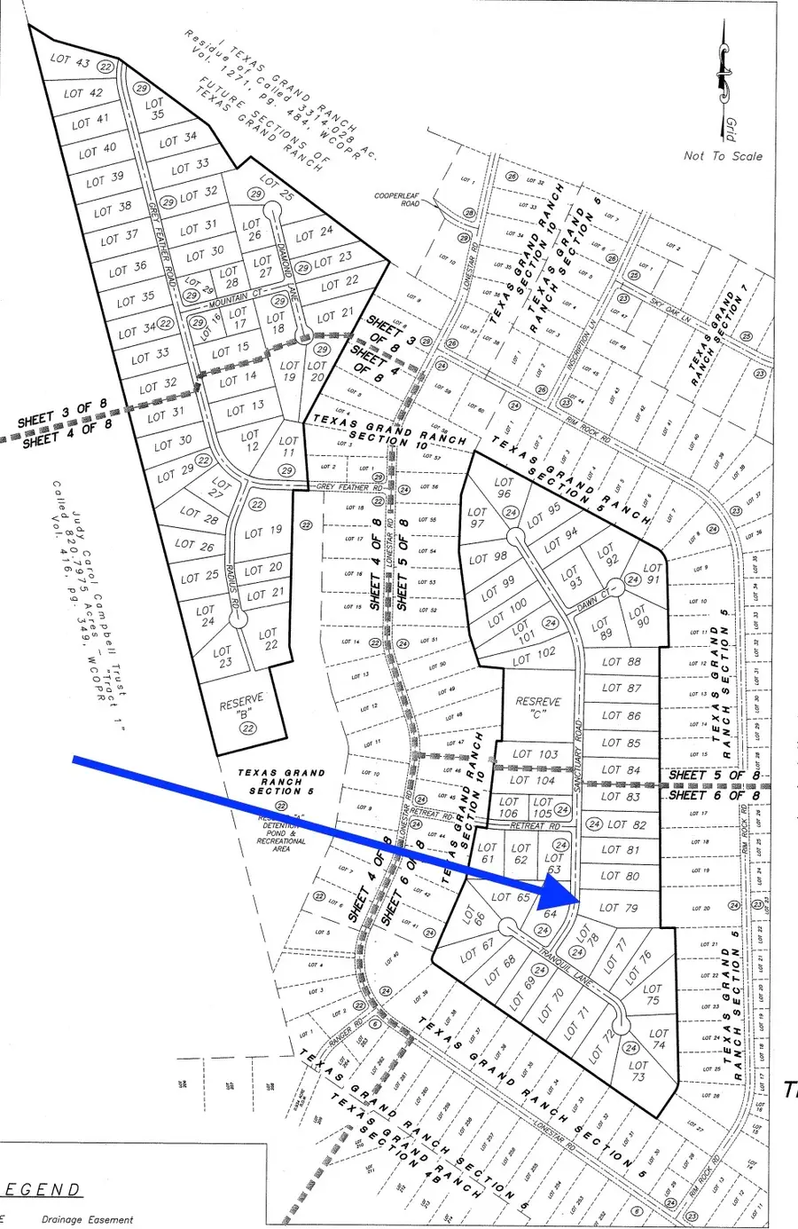
11-24-79 Sanctuary Road, Huntsville, TX 77340
Local realty services provided by:Better Homes and Gardens Real Estate Gary Greene
11-24-79 Sanctuary Road,Huntsville, TX 77340
$157,900
- 2.72 Acres
- Lots / Land
- Active
Listed by: jennifer ryan
Office: 4 star brokerage, llc.281-475-5111
MLS#:61456526
Source:HARMLS
Price summary
- Price:$157,900
- Monthly HOA dues:$33.33
About this home
2.72 acres on a quiet cul-de-sac, tucked deep within the most peaceful interior section of Texas Grand Ranch. This oversized homesite offers exceptional privacy, a beautiful mix of mature hardwoods, and gently rolling topography that creates multiple ideal build sites with natural drainage. The setting feels secluded, yet remains conveniently located with easy access to I-45. TGR is a premier acreage community known for its natural wooded landscape and low density homesites. Enjoy a true country lifestyle surrounded by the Sam Houston National Forest and Huntsville State Park, offering miles of hiking, biking, and horseback riding, along with nearby lakes for boating and recreation. Just minutes from shopping, dining, schools, and medical facilities. Low taxes with no MUD. High and dry with average elevations around 325’ ASL. A rare opportunity to secure a larger, more private homesite in one of the area’s most desirable acreage communities. Bring your builder, no timeframe to build.
Contact an agent
Home facts
- Listing ID #:61456526
- Updated:April 11, 2026 at 11:46 AM
Structure and exterior
- Lot area:2.72 Acres
- Lot Features:Interior Lot, Subdivision, Wooded
Schools
- High school:HUNTSVILLE HIGH SCHOOL
- Middle school:MANCE PARK MIDDLE SCHOOL
- Elementary school:ESTELLA STEWART ELEMENTARY SCHOOL
Finances and disclosures
- Price:$157,900
- Tax amount:$2,318 (2025)
New listings near 11-24-79 Sanctuary Road
- New
$159,000Active3 beds 2 baths1,468 sq. ft.140 Michaels Lane, Huntsville, TX 77320
MLS# 85721868Listed by: PREMIER PROPERTY GROUP - New
$470,000Active4 beds 3 baths3,159 sq. ft.1316 River Oaks Drive, Huntsville, TX 77340
MLS# 16701914Listed by: COMPASS RE TEXAS, LLC - THE WOODLANDS - New
$90,000Active0.16 Acres26 Hillsborough Drive, Huntsville, TX 77340
MLS# 53635955Listed by: CONNECT REALTY.COM - New
$259,900Active3 beds 2 baths2,235 sq. ft.20300 Belair Drive, Huntsville, TX 77320
MLS# 39551986Listed by: JOSEPH WALTER REALTY, LLC - New
$284,900Active3 beds 2 baths1,723 sq. ft.1452 River Oaks Drive, Huntsville, TX 77340
MLS# 98196439Listed by: EXP REALTY, LLC - Open Sat, 1 to 3pmNew
$304,900Active3 beds 3 baths1,988 sq. ft.127 Worley Way, Huntsville, TX 77320
MLS# 30627998Listed by: COME HOME REALTY - New
$345,000Active3 beds 2 baths1,789 sq. ft.152 Waters Edge At 18th, Huntsville, TX 77340
MLS# 42693560Listed by: KELLER WILLIAMS ADVANTAGE REALTY - New
$450,000Active3 beds 2 baths2,223 sq. ft.37 Wildwood Lake Drive, Huntsville, TX 77340
MLS# 92642547Listed by: PINNACLE REALTY ADVISORS - New
$259,900Active3 beds 2 baths1,501 sq. ft.229 Pecos Drive, Huntsville, TX 77340
MLS# 15668923Listed by: SEGUE REAL ESTATE GROUP - New
$239,900Active3 beds 2 baths1,098 sq. ft.61 Hunters Creek Drive, Huntsville, TX 77340
MLS# 21221925Listed by: KW-CEDAR CREEK LAKE PROPERTIES