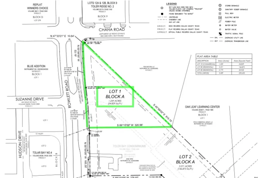
2040 Rowlett Road, Rowlett, TX 75088
Local realty services provided by:Better Homes and Gardens Real Estate The Bell Group
2040 Rowlett Road,Rowlett, TX 75088
$599,000
- 4.94 Acres
- Lots / Land
- Active
Listed by: david sandoval214-315-9438
Office: ultima real estate
MLS#:21088021
Source:GDAR
Price summary
- Price:$599,000
About this home
5 acres of land on the main street that could be used with current zoning or rezoned for many purposes. All easements have been removed from the land except for a small easement for power lines toward the back of the lot. This includes both 2030 and 2040 Rowlett Road. The current zoning is split between residential for approx 3.5 acres and limited commercial for approx 1.5 acres on the corner. The current owner was planning to build a single large house on the residential portion (proposed plans in transaction desk) and do a small commercial project on the corner, but the city does seem open to rezoning for the right plan. Would consider subdividing for the right offer.
3901 Pointe Loma Drive (MLS#21087874) is also for sale, a house with huge back yard, owned by the same seller and attached to the back portion of this land.
Contact an agent
Home facts
- Listing ID #:21088021
- Added:43 day(s) ago
- Updated:November 29, 2025 at 12:55 PM
Structure and exterior
- Lot area:4.94 Acres
Schools
- High school:Choice Of School
- Middle school:Choice Of School
- Elementary school:Choice Of School
Finances and disclosures
- Price:$599,000
- Tax amount:$6,700
New listings near 2040 Rowlett Road
- New
$1,785,000Active4 beds 5 baths4,516 sq. ft.2832 Southbay Circle, Northlake, TX 76226
MLS# 21099695Listed by: ALLIE BETH ALLMAN & ASSOCIATES - Open Sat, 2 to 4pmNew
$398,000Active4 beds 2 baths2,463 sq. ft.5302 Royal Bay Drive, Rowlett, TX 75089
MLS# 21121653Listed by: BERKSHIRE HATHAWAYHS PENFED TX - Open Sat, 1 to 3pmNew
$475,000Active3 beds 3 baths2,269 sq. ft.7609 Redondo Drive, Rowlett, TX 75088
MLS# 21119604Listed by: BERKSHIRE HATHAWAYHS PENFED TX - New
$324,900Active3 beds 2 baths1,558 sq. ft.2614 Dandelion Lane, Rowlett, TX 75089
MLS# 21120099Listed by: UNITED REAL ESTATE - New
$755,000Active4 beds 3 baths3,848 sq. ft.6518 Dry Farm Court, Rowlett, TX 75089
MLS# 21117262Listed by: REDFIN CORPORATION - New
$373,000Active3 beds 3 baths2,266 sq. ft.9722 Links Fairway Drive, Rowlett, TX 75089
MLS# 21119810Listed by: MARK SPAIN REAL ESTATE - New
$304,999Active3 beds 2 baths1,964 sq. ft.8405 Spinnaker Cove, Rowlett, TX 75089
MLS# 21116139Listed by: CENTURY 21 MIKE BOWMAN, INC. - New
$340,000Active3 beds 2 baths1,771 sq. ft.3913 Southridge Drive, Rowlett, TX 75088
MLS# 21116992Listed by: ULTIMA REAL ESTATE SERVICES - New
$359,995Active4 beds 2 baths2,000 sq. ft.3818 Martha Lane, Rowlett, TX 75088
MLS# 21116233Listed by: AMX REALTY - New
$404,900Active4 beds 2 baths2,208 sq. ft.8210 Champion Drive, Rowlett, TX 75089
MLS# 21108198Listed by: COLDWELL BANKER REALTY FRISCO