445 S 100 W #5A, Providence, UT 84332
Local realty services provided by:Better Homes and Gardens Real Estate Momentum
445 S 100 W #5A,Providence, UT 84332
$160,000
- 0.34 Acres
- Lots / Land
- Active
Listed by: darin kidd, christine franks young
Office: exp realty, llc.
MLS#:2133489
Source:SL
Price summary
- Price:$160,000
About this home
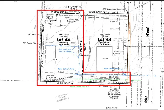
Come Meet the Builder and get all your questions answered for this lot! Open House this Saturday 5-9-26 12 -3 PM Large lot in an amazing area in Providence. All Utilities will be stubbed for build. Bring your own floor plan and builder or let our custom builder homes and build you a custom energy efficient home of your dreams. This is a flag lot. There will be a paved easement for easy access. Plot map shows the redlined Lot 5A and the easement as the lot for sale.
Contact an agent
Home facts
- Listing ID #:2133489
- Added:107 day(s) ago
- Updated:May 16, 2026 at 11:01 AM
Structure and exterior
- Lot area:0.34 Acres
- Lot Features:Terrain: Flat
Schools
- High school:None/Other
- Middle school:Spring Creek
- Elementary school:Providence
Utilities
- Sewer:Sewer Connected, Sewer: Connected, Sewer: Public
Finances and disclosures
- Price:$160,000
- Tax amount:$1,647
New listings near 445 S 100 W #5A
- Open Sat, 1:30 to 4:30pmNew
$440,000Active3 beds 2 baths1,644 sq. ft.32 W Spring Creek Pkwy, Providence, UT 84332
MLS# 2157039Listed by: WINDERMERE REAL ESTATE (LAYTON BRANCH) - Open Sat, 2 to 4pmNew
$795,000Active4 beds 3 baths3,170 sq. ft.583 S 225 E, Providence, UT 84332
MLS# 2157404Listed by: R AND R REALTY LLC - New
$2,040,000Active18 beds 18 baths7,884 sq. ft.220 N Spring Creek Pkwy, Providence, UT 84332
MLS# 2157175Listed by: CORNERSTONE REAL ESTATE PROFESSIONALS, LLC - New
$310,000Active0.36 Acres805 E 525 N #44, Providence, UT 84332
MLS# 2156722Listed by: PARKER REAL ESTATE SERVICES, PC - New
$284,780Active1 beds 1 baths977 sq. ft.163 E 550 N #302A, Providence, UT 84332
MLS# 2156473Listed by: LISTWITHFREEDOM.COM INC - New
$889,900Active5 beds 3 baths3,271 sq. ft.184 S 400 E, Providence, UT 84332
MLS# 2155931Listed by: KW UNITE KELLER WILLIAMS LLC - New
$295,000Active2 beds 2 baths1,096 sq. ft.452 N 100 W #105, Logan, UT 84321
MLS# 2156049Listed by: ENGEL & VOLKERS LOGAN, LLC - New
$295,000Active2 beds 2 baths1,096 sq. ft.452 N 100 W #104, Logan, UT 84321
MLS# 2156060Listed by: ENGEL & VOLKERS LOGAN, LLC - New
$295,000Active2 beds 2 baths1,096 sq. ft.452 N 100 W #103, Logan, UT 84321
MLS# 2155842Listed by: ENGEL & VOLKERS LOGAN, LLC
$308,000Pending2 beds 2 baths1,144 sq. ft.452 N 100 W #101, Logan, UT 84321
MLS# 2155534Listed by: ENGEL & VOLKERS LOGAN, LLC