2580 Maidens Road, Maidens, VA 23102

Local realty services provided by:Better Homes and Gardens Real Estate Base Camp
2580 Maidens Road,Maidens, VA 23102
$850,000
  • 6.84 Acres
  • Lots / Land
  • Active
Listed by: barbara davis
Office: virginia capital realty
MLS#:2608301
Source:RV

Price summary

  • Price:$850,000

About this home

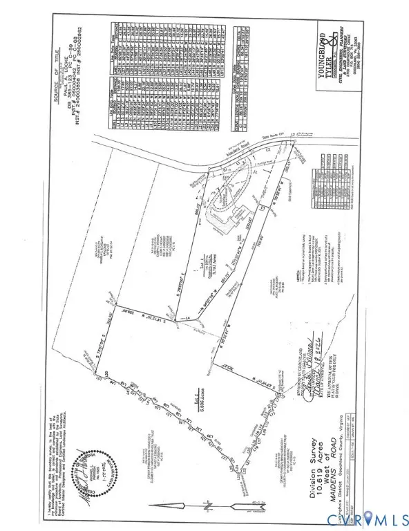
VERY RARE FIND! Horse Country... Henebry Farms right across the road from this 6.83 Wooded Acres. Build your forever home with lots of hardwood trees and tons of privacy and serenity of nature. Having tons of convenience, just only 15 miles and 20 minutes from beautiful Short Pump Mall, hospital, restaurants, banks and lots of medical facilities of your choice. Convenient to 64West, 295 and all the major highways. Make this your forever residence! Attached is Plat(SURVEY). Property has been (PERKED) by Youngblood, Tyler and Associates and is available at your request. Ready to build!!!

Contact an agent

contact an agent

Yes, I would like more information. Please use and/or share my information with a BHGRE®  affiliated agent to contact me about my real estate needs. By clicking Send message, I request to be contacted by phone or text message and consent to being contacted by automated means. I understand that my consent to receive calls or texts is not a condition of purchasing any property, goods, or services. Alternatively, I understand that I can access real estate services by email or I can contact the agent myself.

If a BHGRE®  affiliated agent is not available in the area where I need assistance, I agree to be contacted by a real estate agent affiliated with another brand owned or licensed by Anywhere Real Estate (CENTURY 21® , Coldwell Banker® , Corcoran® , ERA® , Sotheby's International Realty® ).
 I acknowledge that I have read and agree to theTerms of useandPrivacy notice

Home facts

  • Listing ID #:2608301
  • Added:46 day(s) ago
  • Updated:May 25, 2026 at 02:27 PM

Structure and exterior

  • Lot area:6.84 Acres
  • Lot Features:Hardwood Trees, Level, Wooded

Schools

  • High school:Goochland
  • Middle school:Goochland
  • Elementary school:Randolph

Finances and disclosures

  • Price:$850,000
MLS LogoThe information being provided is for consumers' personal, non-commercial use and may not be used for any purpose other than to identify prospective properties for purchasing. All information provided is deemed reliable but is not guaranteed accurate.The multiple listing information is provided by Central Virginia Regional Multiple Listing Service, LLC from a copyrighted compilation of listings. The compilation of listings and each individual listing are © 2026 Central Virginia Regional Multiple Listing Service, LLC. All rights reserved.