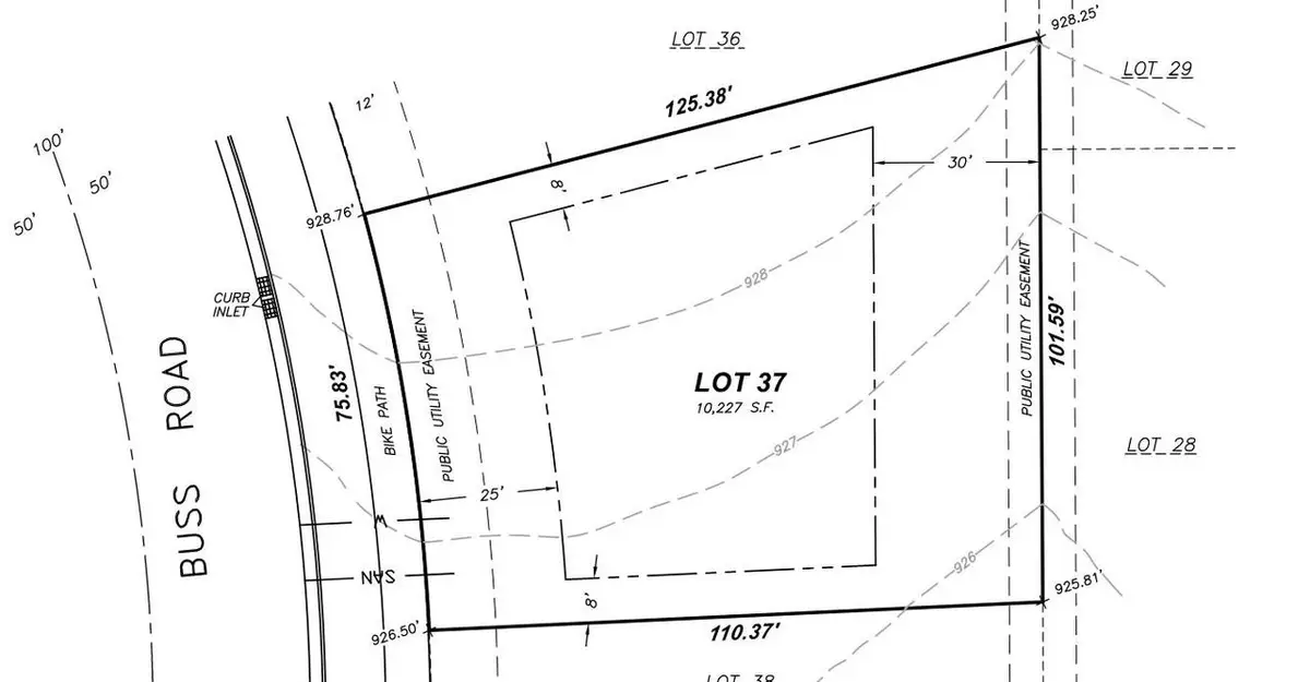
540 Buss Road, Cottage Grove, WI 53527
Local realty services provided by:Better Homes and Gardens Real Estate Special Properties
540 Buss Road,Cottage Grove, WI 53527
$129,900
- 0.24 Acres
- Lots / Land
- Active
Listed by: aeryn barry
Office: tim o'brien homes llc.
MLS#:2015110
Source:WI_WIREX_SCW
Price summary
- Price:$129,900
- Monthly HOA dues:$20.83
About this home
Build your dream home in the desirable Shady Grove neighborhood, where small-town charm meets everyday convenience. This homesite offers close proximity to schools and an ideal setting for a peaceful, slower-paced lifestyle, without giving up easy access to big-city amenities. Enjoy a welcoming, tight-knit community feel with friendly neighbors, nearby parks, trails, and natural spaces, perfect for outdoor living, staying active, or enjoying time with family. Located just east of Madison, Shady Grove provides quick access to employment centers, entertainment, universities, and services, along with easy interstate connections to Madison, Milwaukee, and Janesville. Lot sale is subject to a separate building agreement with Tim O?Brien Homes. Experience the best of suburban living in Cot
Contact an agent
Home facts
- Listing ID #:2015110
- Added:734 day(s) ago
- Updated:February 22, 2026 at 03:30 PM
Structure and exterior
- Lot area:0.24 Acres
- Lot Features:Can not be divided, Fences Allowed, Level
Schools
- High school:Monona Grove
- Elementary school:Call School District
Utilities
- Water:Municipal Water
- Sewer:Municipal Sewer
Finances and disclosures
- Price:$129,900
- Tax amount:$2,465 (2025)
Features and amenities
- Amenities:Cable, Electricity, High Speed Internet Available, Natural Gas, Telephone
New listings near 540 Buss Road
- New
$399,900Active4 beds 3 baths2,100 sq. ft.104 Maria Lane, Cottage Grove, WI 53527
MLS# 2017989Listed by: CENTURY 21 AFFILIATED - New
$534,900Active3 beds 2 baths2,786 sq. ft.108 Donegal Drive, Cottage Grove, WI 53527
MLS# 2017966Listed by: RESTAINO & ASSOCIATES - New
$436,900Active3 beds 3 baths1,882 sq. ft.572 Buss Road, Cottage Grove, WI 53527
MLS# 2016754Listed by: TIM O'BRIEN HOMES LLC - New
$295,000Active2 beds 2 baths1,092 sq. ft.1601 N Windsor Avenue #209, Cottage Grove, WI 53527
MLS# 2017415Listed by: ROCK REALTY - New
$340,000Active2 beds 3 baths2,033 sq. ft.605 Nightingale Lane, Cottage Grove, WI 53527
MLS# 2017204Listed by: THE KRUSE COMPANY, REALTORS
$546,902Active4 beds 3 baths2,032 sq. ft.208 Michelle Lane, Cottage Grove, WI 53527
MLS# 2017172Listed by: ELEVATE ESTATES REALTY CO.
$999,000Active5 beds 4 baths3,012 sq. ft.2695 Gaston Road, Cottage Grove, WI 53527
MLS# 2017142Listed by: FIRST WEBER INC
$799,900Active5 beds 4 baths4,118 sq. ft.517 Buss Road, Cottage Grove, WI 53527
MLS# 2017050Listed by: LPT REALTY
$539,900Active3 beds 3 baths2,317 sq. ft.810 N Parkview Street, Cottage Grove, WI 53527
MLS# 2016979Listed by: COMPASS REAL ESTATE WISCONSIN
$315,000Active3 beds 2 baths1,500 sq. ft.204 W Clover Lane #B, Cottage Grove, WI 53527
MLS# 2016926Listed by: COMPASS REAL ESTATE WISCONSIN