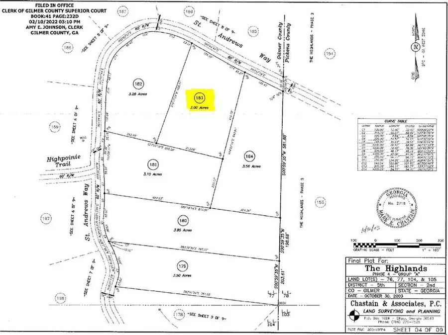
183 St Andrews Way, Ellijay, GA 30536
Local realty services provided by:Better Homes and Gardens Real Estate Metro Brokers
183 St Andrews Way,Ellijay, GA 30536
$60,000
- 3 Acres
- Lots / Land
- Active
Listed by: leah cleminshaw706-502-2293
Office: georgia highlands realty
MLS#:7706002
Source:FIRSTMLS
Price summary
- Price:$60,000
- Monthly HOA dues:$70.42
About this home
Three acres of flat and gently rolling land in a luxury gated mountain community, offering a quiet and private setting. This nearly square-shaped lot is situated deep within the subdivision, providing excellent privacy. The land begins level at the road and gently rises to a spacious, level building site at the highest point of the lot, perfectly positioning a future home above the road and creating natural privacy. From there, the terrain slopes gently toward the rear of the property. Seasonal mountain views are present. Underground utilities including electric, power, cable, and internet are available at the road.
Georgian Highlands is a luxury gated mountain community in the North Georgia mountains, featuring wide paved roads that meander through hardwood forest with a state park–like feel. The community offers reasonable HOA fees and quick access to Hwy 136 E and Hwy 52 E, with Jasper and Ellijay approximately 20–25 minutes away. Nearby attractions include apple orchards, wineries, U-Pick farms, mountain hiking trails, and seasonal destinations such as sunflower and pumpkin fields. GATED, HOA, no short term rentals, minimum 2000 sqft, all buyers must be with an agent.
Contact an agent
Home facts
- Listing ID #:7706002
- Updated:March 10, 2026 at 01:22 PM
Structure and exterior
- Lot area:3 Acres
- Lot Features:Level, Mountain Frontage, Rolling Slope
Schools
- High school:Gilmer
- Middle school:Clear Creek
- Elementary school:Clear Creek - Gilmer
Finances and disclosures
- Price:$60,000
- Tax amount:$248 (2025)
New listings near 183 St Andrews Way
- New
$474,777Active3 beds 2 baths1,885 sq. ft.57 Parish Court, Ellijay, GA 30540
MLS# 428506Listed by: REMAX TOWN & COUNTRY THE CINDY WEST TEAM - New
$458,000Active2 beds 3 baths1,333 sq. ft.772 Heritage Way, Ellijay, GA 30540
MLS# 7732102Listed by: MOUNTAIN BLUE RIDGE, LLC - New
$69,000Active0.92 Acres0 Lake Top Ln Lane, Ellijay, GA 30536
MLS# 7731720Listed by: VIRTUAL PROPERTIES REALTY.COM - New
$625,000Active3 beds 3 baths2,160 sq. ft.250 Noah Circle, Ellijay, GA 30540
MLS# 428504Listed by: REMAX TOWN & COUNTRY THE CINDY WEST TEAM - New
$359,000Active3 beds 2 baths2,448 sq. ft.89 Tara Lane, Ellijay, GA 30540
MLS# 10706719Listed by: RE/MAX Town & Country - Coming Soon
$639,900Coming Soon3 beds 4 baths3756 Highway 52 E, Ellijay, GA 30536
MLS# 7727891Listed by: DWELLI INC. - New
$570,900Active43.91 Acres43.91 Old Burnt Mountain Road #PART OF C, Ellijay, GA 30540
MLS# 10706536Listed by: RE/MAX Town & Country - New
$659,900Active3 beds 3 baths2,320 sq. ft.497 S Jakes Landing Way #48, Ellijay, GA 30540
MLS# 10706361Listed by: Dalton Wade, Inc. - New
$395,000Active3 beds 2 baths1,995 sq. ft.148 Gateway Drive, Ellijay, GA 30540
MLS# 7731599Listed by: KELLER WILLIAMS REALTY ATL PERIMETER - New
$625,777Active3 beds 3 baths2,400 sq. ft.156 Ridgecrest Court, Ellijay, GA 30540
MLS# 428492Listed by: REMAX TOWN & COUNTRY THE CINDY WEST TEAM