0 Long Creek Road, Bessemer City, NC 28016

Local realty services provided by:Better Homes and Gardens Real Estate Integrity Partners
Listed by: robin hurd
Office: carolina realty solutions
MLS#:4353764
Source:CH
0 Long Creek Road,Bessemer City, NC 28016
$36,500
  • 0.83 Acres
  • Lots / Land
  • Active

Price summary

  • Price:$36,500

About this home

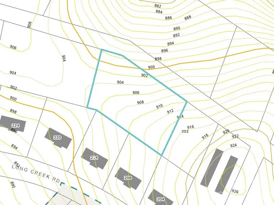
Nice .83 acre lot. Zoned NR. Seller makes no representation regarding minimum square foot requirements. All permitting and building requirements should be verified with the Bessemer City Planning department. Land locked but can be combined with PID# 152181; PID# 152180; PID# 152191; PID# 152189 as an assemblage for future land development. See other parcels in MLS.

Contact an agent

contact an agent

Yes, I would like more information. Please use and/or share my information with a BHGRE®  affiliated agent to contact me about my real estate needs. By clicking Send message, I request to be contacted by phone or text message and consent to being contacted by automated means. I understand that my consent to receive calls or texts is not a condition of purchasing any property, goods, or services. Alternatively, I understand that I can access real estate services by email or I can contact the agent myself.

If a BHGRE®  affiliated agent is not available in the area where I need assistance, I agree to be contacted by a real estate agent affiliated with another brand owned or licensed by Anywhere Real Estate (CENTURY 21® , Coldwell Banker® , Corcoran® , ERA® , Sotheby's International Realty® ).
 I acknowledge that I have read and agree to theTerms of useandPrivacy notice

Home facts

  • Listing ID #:4353764
  • Updated:March 10, 2026 at 05:08 PM

Structure and exterior

  • Lot area:0.83 Acres

Schools

  • High school:Unspecified
  • Elementary school:Unspecified

Utilities

  • Water:Tap Fee Required
  • Sewer:Septic Needed

Finances and disclosures

  • Price:$36,500
MLS LogoListings courtesy of Canopy MLS as distributed by MLS GRID. Copyright 2021 Canopy MLS. All rights reserved. Canopy MLS, provides content displayed here (“provided content”) on an “as is” basis and makes no representations or warranties regarding the provided content, including, but not limited to those of non-infringement, timeliness, accuracy, or completeness. Individuals and companies using information presented are responsible for verification and validation of information they utilize and present to their customers and clients. Canopy MLS will not be liable for any damage or loss resulting from use of the provided content or the products available through Portals, IDX, VOW, and/or Syndication. Recipients of this information shall not resell, redistribute, reproduce, modify, or otherwise copy any portion thereof without the expressed written consent of Canopy MLS.