TBD Horsmann Avenue, Dresser, WI 54009

Local realty services provided by:Better Homes and Gardens Real Estate Special Properties
Listed by: laura greene
Office: biltmore realty, llc.
MLS#:6743235
Source:Metro MLS
TBD Horsmann Avenue,Dresser, WI 54009
$47,900
  • 0.42 Acres
  • Lots / Land
  • Pending

Price summary

  • Price:$47,900

About this home

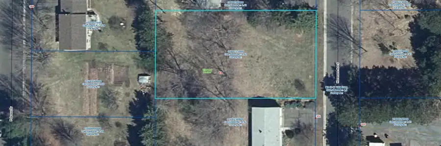
Multi-Family Lot ? Build-Ready! Discover the potential of this .42-acre (18,213 sq ft) multi-family zoned lot, perfectly situated on a flat, partially wooded parcel. With city water, sewer, and electric available at the street, your development plans just got easier. Surveyed and ready to build, with no soil test required, this is an ideal opportunity for investors, builders, or those looking to create income-producing property.

Contact an agent

contact an agent

Yes, I would like more information. Please use and/or share my information with a BHGRE®  affiliated agent to contact me about my real estate needs. By clicking Send message, I request to be contacted by phone or text message and consent to being contacted by automated means. I understand that my consent to receive calls or texts is not a condition of purchasing any property, goods, or services. Alternatively, I understand that I can access real estate services by email or I can contact the agent myself.

If a BHGRE®  affiliated agent is not available in the area where I need assistance, I agree to be contacted by a real estate agent affiliated with another brand owned or licensed by Anywhere Real Estate (CENTURY 21® , Coldwell Banker® , Corcoran® , ERA® , Sotheby's International Realty® ).
 I acknowledge that I have read and agree to theTerms of useandPrivacy notice

Home facts

  • Listing ID #:6743235
  • Added:265 day(s) ago
  • Updated:March 25, 2026 at 02:34 PM

Structure and exterior

  • Lot area:0.42 Acres
  • Lot Features:Level

Finances and disclosures

  • Price:$47,900
  • Tax amount:$393 (2024)
The information being provided by Wisconsin Real Estate Exchange is for the consumer’s personal, non-commercial use and may not be used for any purpose other than to identify prospective properties consumers may be interested in purchasing. Information is supplied by seller and other third parties and has not been verified. 2026 Wisconsin Real Estate Exchange All rights reserved.