395 Lanvale Rd Ne, Leland, NC 28451
Local realty services provided by:Better Homes and Gardens Real Estate Elliott Coastal Living
395 Lanvale Rd Ne,Leland, NC 28451
$1,224,500
- 9.66 Acres
- Lots / Land
- Active
Listed by:mark a johnson
Office:rosemark commercial advisors, inc.
MLS#:100538538
Source:NC_CCAR
Price summary
- Price:$1,224,500
About this home
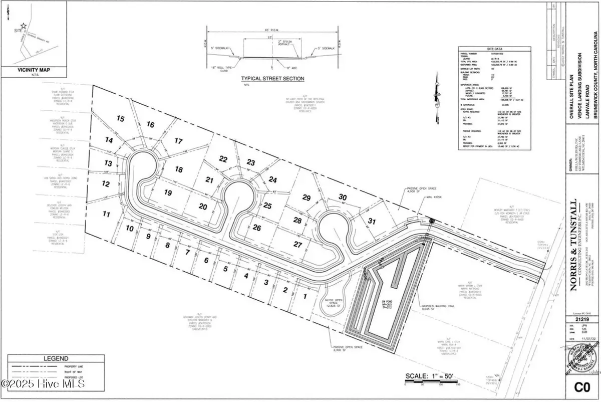
31 approved lots with nearly all entitlements in hand. Last item needed is renewal of stormwater permit, which owner has re-applied for - we expect 90-120 days for approval. Buyer will have to post bond for stormwater pond (refundable).
Annexed into Town of Leland in order to get water/sewer via H2Go.
All due diligence material will be made available to interested parties.
Property is approximately 1 mile from new Publix shopping center called Leland Village (previously Shoppes at Savannah Branch) which has broken ground, delivery expected early 2027. This is directly across Hwy 17 from Brunswick Forest.
Lots are a minimum of 43' wide at street (wider at rear of lot) up to 75' wide with a variety of depths.
List price is based on $39,500/undeveloped lot
Contact an agent
Home facts
- Listing ID #:100538538
- Added:1 day(s) ago
- Updated:October 29, 2025 at 12:16 PM
Structure and exterior
- Lot area:9.66 Acres
Schools
- High school:North Brunswick
- Middle school:Leland
- Elementary school:Town Creek
Finances and disclosures
- Price:$1,224,500
New listings near 395 Lanvale Rd Ne
- New
$750,000Active4 beds 3 baths2,593 sq. ft.8576 Pine Nut Drive Ne, Leland, NC 28451
MLS# 100538301Listed by: COLDWELL BANKER SEA COAST ADVANTAGE-LELAND - New
$425,000Active4 beds 2 baths1,774 sq. ft.2529 Centerway Lane, Leland, NC 28451
MLS# 100538453Listed by: BETTER BEACH SALES & RENTALS, INC. - New
$525,000Active4 beds 3 baths2,487 sq. ft.1012 Heron Run Drive, Leland, NC 28451
MLS# 100538412Listed by: COLDWELL BANKER SEA COAST ADVANTAGE - New
$459,999Active4 beds 2 baths1,881 sq. ft.9442 Crowded Gules Drive #Lot 220, Leland, NC 28451
MLS# 100538326Listed by: D.R. HORTON, INC - New
$499,999Active4 beds 3 baths3,129 sq. ft.9421 Crowded Gules Drive #Lot 192, Leland, NC 28451
MLS# 100538279Listed by: D.R. HORTON, INC - New
$399,999Active5 beds 4 baths2,583 sq. ft.3347 Summer Tanager Lane #Lot 12, Leland, NC 28451
MLS# 100538252Listed by: D.R. HORTON, INC - New
$430,340Active5 beds 4 baths2,583 sq. ft.3350 Summer Tanager Lane #Lot 43, Leland, NC 28451
MLS# 100538259Listed by: D.R. HORTON, INC - New
$164,900Active2 beds 1 baths967 sq. ft.813 Pine Valley Drive, Leland, NC 28451
MLS# 100538261Listed by: CHOSEN REALTY OF NC - New
$475,000Active3 beds 2 baths1,767 sq. ft.7952 Harrier Circle, Leland, NC 28451
MLS# 100538241Listed by: COLDWELL BANKER SEA COAST ADVANTAGE